Log In/Sign Up
Enter your email to login or create a free account
This feature is unavailable at the moment.
We apologize, but the feature you are trying to access is currently unavailable. We are aware of this issue and our team is working hard to resolve the matter.
Please check back in a few minutes. We apologize for the inconvenience.
- LoopNet Team
This Land Property is no longer advertised on LoopNet.com.
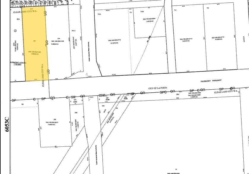
0 Fairmont Pky
La Porte, TX 77571
Land For Sale
·
6.68 AC

Property Facts
Description
Rectangular Commercial Tract Utilities Available with Extensions Adjoins Parson's Living Assisted Living Facility
Property Taxes
| Parcel Number | 0431480000160 | Improvements Assessment | $0 |
| Land Assessment | $655,686 | Total Assessment | $655,686 |
Property Taxes
Parcel Number
0431480000160
Land Assessment
$655,686
Improvements Assessment
$0
Total Assessment
$655,686
Listing ID: 38140388
Date on Market: 10/20/2025
Last Updated:
Address: 0 Fairmont Pky, La Porte, TX 77571
The Land Property at 0 Fairmont Pky, La Porte, TX 77571 is no longer being advertised on LoopNet.com. Contact the broker for information on availability.
LAND PROPERTIES IN NEARBY NEIGHBORHOODS
- Southbelt-Ellington Commercial Land Parcels
- Clear Lake Commercial Land Parcels
- Meadowbrook-Allendale Commercial Land Parcels
- Downtown Pasadena Commercial Land Parcels
- Mount Vernon Commercial Land Parcels
- South Shore Harbour and Marina Commercial Land Parcels
- Twin Oaks Commercial Land Parcels
- Southeast Houston Commercial Land Parcels
- East End Houston Commercial Land Parcels
- South Central Houston Commercial Land Parcels
- Northeast Houston Commercial Land Parcels
- Downtown Houston Commercial Land Parcels
NEARBY LISTINGS
- 10405 W Fairmont Pky, La Porte TX
- Genoa Red Bluff @ Ellington Field, Houston TX
- 10530 Red Bluff Road Rd, Pasadena TX
- 4205 Pasadena Blvd, Pasadena TX
- Red Bluff Rd, Pasadena TX
- 2703 Morning Glory Dr, Pasadena TX
- Red Bluff Rd, Pasadena TX
- W Fairmont Pky, La Porte TX
- Genoa Red Bluff & Farley Rd, Houston TX
- 4422 Spencer Hwy, Pasadena TX
- W Fairmont Pkwy @ Willmont Rd, La Porte TX
- 0 Greenshadow Drive, Pasadena TX
- 2000 Center St, Deer Park TX
- 6149 Spencer Hwy, Pasadena TX
- 0 Fairmont Parkway, La Porte TX
1 of 1
Videos
Matterport 3D Exterior
Matterport 3D Tour
Photos
Street View
Street
Map

Link copied
Your LoopNet account has been created!
Thank you for your feedback.
Please Share Your Feedback
We welcome any feedback on how we can improve LoopNet to better serve your needs.X
{{ getErrorText(feedbackForm.starRating, "rating") }}
255 character limit ({{ remainingChars() }} charactercharacters remainingover)
{{ getErrorText(feedbackForm.msg, "rating") }}
{{ getErrorText(feedbackForm.fname, "first name") }}
{{ getErrorText(feedbackForm.lname, "last name") }}
{{ getErrorText(feedbackForm.phone, "phone number") }}
{{ getErrorText(feedbackForm.phonex, "phone extension") }}
{{ getErrorText(feedbackForm.email, "email address") }}
You can provide feedback any time using the Help button at the top of the page.