Log In/Sign Up
Your email has been sent.
Executive Summary
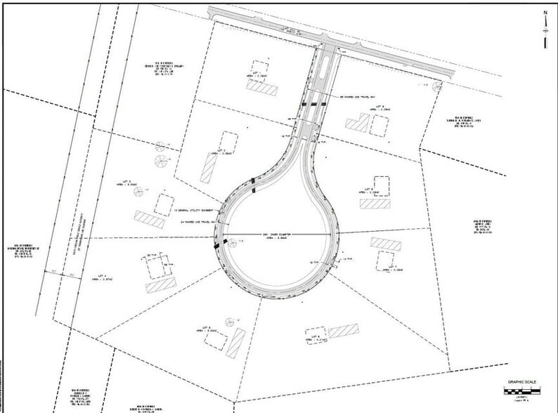
28 acres entitled for 9 lots. Includes: wetland permits, engineering for road, engineering for subdivision, platted lots, property boundary pins installed, DHEC permits, engineered septic where applicable, DHEC septic where applicable, soils study, and archeology study. Designed for underground electric, septic and well. Can be easily modified for municipal water line. Owner will not agree to a partial sale. TMS: 1960001002 & 1960001001 are the parent tracts. Owner is a licensed Real Estate Agent in South Carolina. Call agent for subdivision approvals, permits and documents.
Property Facts
| Price | $1,600,000 | Property Subtype | Residential |
| Sale Type | Investment | Proposed Use | Single Family Development |
| No. Lots | 1 | Total Lot Size | 28.00 AC |
| Property Type | Land | No. Stories | 1 |
| Zoning | Residential - Berkeley - R1-R - Rural Single-Family Residential | ||
| Price | $1,600,000 |
| Sale Type | Investment |
| No. Lots | 1 |
| Property Type | Land |
| Property Subtype | Residential |
| Proposed Use | Single Family Development |
| Total Lot Size | 28.00 AC |
| No. Stories | 1 |
| Zoning | Residential - Berkeley - R1-R - Rural Single-Family Residential |
1 Lot Available
Lot
| Price | $1,600,000 | Lot Size | 28.00 AC |
| Price Per AC | $57,142.86 |
| Price | $1,600,000 |
| Price Per AC | $57,142.86 |
| Lot Size | 28.00 AC |
From Summerville- Take 17A to right turn on Lazy Hill.; on right before curve.
1 1
Property Taxes
| Parcel Number | 196-00-00-069 | Improvements Assessment | $343,478 |
| Land Assessment | $131,127 | Total Assessment | $474,605 |
Property Taxes
Parcel Number
196-00-00-069
Land Assessment
$131,127
Improvements Assessment
$343,478
Total Assessment
$474,605
1 of 5
Videos
Matterport 3D Exterior
Matterport 3D Tour
Photos
Street View
Street
Map
1 of 1
Presented by
0 Lazy Hill Rd
Already a member? Log In
Hmm, there seems to have been an error sending your message. Please try again.
Thanks! Your message was sent.
Your message has been sent!
Activate your LoopNet account now to track properties, get real-time alerts, save time on future inquiries, and more.



