Log In/Sign Up
Your email has been sent.
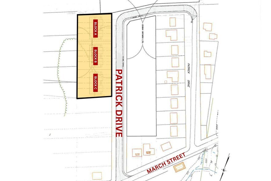
0 Patrick Dr 1.3 Acres of Residential Land Offered at $1,152,306 USD in Frankford, ON K0K 2C0



INVESTMENT HIGHLIGHTS
- Subdivided into three distinct blocks, each with its own frontage and depth—ideal for phased development or resale.
- Each parcel includes a proposed plan for a 4-unit townhouse, streamlining your design and permitting process.
- Motivated seller
- Recently rezoned to R3-23, enabling townhouse construction with expanded permitted uses—no rezoning delays.
- Fully serviced site
EXECUTIVE SUMMARY
This prime 1.3-acre development site presents an exceptional opportunity for builders, developers, and investors. Recently rezoned to R3-23, the property now permits townhouse development. The site is subdivided into three individual blocks, each with its own frontage and depth, and a proposed plan to build a 4-plex townhouse on each block. Block A offers 119 feet of frontage and 153 feet of depth (0.42 acres). Block B consists of 123 feet of frontage and 152 feet of depth (0.43 acres), while Block C features 125 feet of frontage and 150 feet of depth (0.43 acres). Each block can be purchased individually or together as part of the full development package. Ready to apply for building permits. Reasonable offers encouraged.
PROPERTY FACTS
| Price | $1,152,306 USD | Property Type | Land |
| Sale Type | Investment | Property Subtype | Residential |
| No. Lots | 1 | Total Lot Size | 1.30 AC |
| Zoning | R3-23 | ||
| Price | $1,152,306 USD |
| Sale Type | Investment |
| No. Lots | 1 |
| Property Type | Land |
| Property Subtype | Residential |
| Total Lot Size | 1.30 AC |
| Zoning | R3-23 |
1 LOT AVAILABLE
Lot A,B,C
| Price | $1,152,306 USD | Lot Size | 1.30 AC |
| Price Per AC | $886,389.27 USD |
| Price | $1,152,306 USD |
| Price Per AC | $886,389.27 USD |
| Lot Size | 1.30 AC |
Block A (0.42 acres), Block B (0.43 acres) and Block C (0.43 acres)
1 1
1 of 4
VIDEOS
MATTERPORT 3D EXTERIOR
MATTERPORT 3D TOUR
PHOTOS
STREET VIEW
STREET
MAP
1 of 1
Presented by
Company Not Provided
0 Patrick Dr
Already a member? Log In
Hmm, there seems to have been an error sending your message. Please try again.
Thanks! Your message was sent.
