Log In/Sign Up
Your email has been sent.
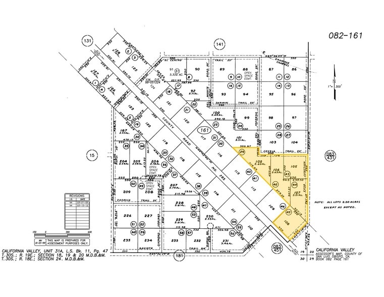
0 Soda Lake Rd - 0 Soda Lake Rd 12.74 Acres of Residential Land Offered at $89,000 in Santa Margarita, CA 93453



INVESTMENT HIGHLIGHTS
- Paved frontage
- Near power
EXECUTIVE SUMMARY
***Rare Investment Opportunity*** 12.5+ Acres on Soda Lake Rd
Five contiguous 2.5+ acre parcels (12.7 acres total) centrally located in California Valley, with a portion fronting paved Soda Lake Road. Originally assembled with the vision of applying for commercial zoning for a campground or mobile home park (buyer to verify). Due to health reasons, the current owners are ready to pass this opportunity on to a new entrepreneur. Excellent access, visibility, and location—just minutes from Carrizo Plain National Monument. Zoned Residential Suburban, with potential for future development. Don't miss this chance to own land in a growing area of San Luis Obispo County.
Five contiguous 2.5+ acre parcels (12.7 acres total) centrally located in California Valley, with a portion fronting paved Soda Lake Road. Originally assembled with the vision of applying for commercial zoning for a campground or mobile home park (buyer to verify). Due to health reasons, the current owners are ready to pass this opportunity on to a new entrepreneur. Excellent access, visibility, and location—just minutes from Carrizo Plain National Monument. Zoned Residential Suburban, with potential for future development. Don't miss this chance to own land in a growing area of San Luis Obispo County.
PROPERTY FACTS
1 LOT AVAILABLE
Lot
| Price | $89,000 | Lot Size | 12.74 AC |
| Price Per AC | $6,985.87 |
| Price | $89,000 |
| Price Per AC | $6,985.87 |
| Lot Size | 12.74 AC |
Five contiguous 2.5+ acre parcels (12.7 acres total) centrally located in California Valley, with a portion fronting paved Soda Lake Road.
PROPERTY TAXES
| Parcel Numbers | Improvements Assessment | $0 | |
| Land Assessment | $77,663 | Total Assessment | $77,663 |
PROPERTY TAXES
Parcel Numbers
Land Assessment
$77,663
Improvements Assessment
$0
Total Assessment
$77,663
1 of 8
VIDEOS
MATTERPORT 3D EXTERIOR
MATTERPORT 3D TOUR
PHOTOS
STREET VIEW
STREET
MAP
Presented by
0 Soda Lake Rd - 0 Soda Lake Rd
Already a member? Log In
Hmm, there seems to have been an error sending your message. Please try again.
Thanks! Your message was sent.

