Your email has been sent.
EXECUTIVE SUMMARY
PROPERTY FACTS
1 LOT AVAILABLE
Lot
| Price | $275,000 | Lot Size | 79.00 AC |
| Price Per AC | $3,481.01 |
| Price | $275,000 |
| Price Per AC | $3,481.01 |
| Lot Size | 79.00 AC |
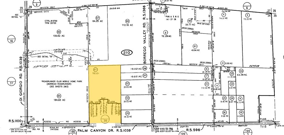
The property being offered consists of approximately 79 acres of flat land along Palm Canyon Drive in Borrego Springs, CA in northeast county San Diego.
DESCRIPTION
The property consists of a northern portion, approximately 48 acres, with no existing improvements and a southern portion, approximately 31 acres, that has entitlements and a final map from the county of San Diego. The map includes 95 single family lots, 2 private street lots, and 5 recreational lots. See the following page for the SD Tract Map. Water and sewer service will be provided by the Borrego Springs Water District, and electricity will be provided by San Diego Gas & Electric. Additionally, there is a potential alternative for a utility solar facility development. Zoning information: The general plan land use designation for the entitled portion is Village Residential 4.3. This allows for a maximum residential density of 4.3 dwelling units/acre. The unentitled northern portion of the property has a land use designation of Village Residential 2. This is similar to the southern portion, but only allows for a maximum of 2.0 dwelling units/acre.
PROPERTY TAXES
| Parcel Numbers | Improvements Assessment | $0 | |
| Land Assessment | $108,784 | Total Assessment | $108,784 |
PROPERTY TAXES
Presented by
1000 Palm Canyon Dr
Hmm, there seems to have been an error sending your message. Please try again.
Thanks! Your message was sent.




