Log In/Sign Up
Your email has been sent.
INVESTMENT HIGHLIGHTS
- Traffic Counts: 8,000+ Vehicles Per Day
- Location: 12th Avenue corridor in West Fargo - a growing hub for industrial development
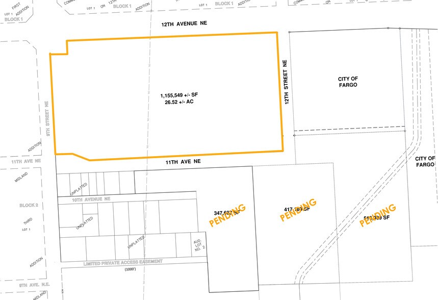
- Parcel Size: 26.5 aces of prime, developable land
- Zoning: Heavy Industrial - suitable for manufacturing, rehousing, distribution and more
- Access: Positioned on a truck route with quick connections to major highways
- Financial Advantages: Low specials and taxes for long-term value and reduced holding costs
EXECUTIVE SUMMARY
12th Ave Development Land For Sale - Price $3.85 PSF.
PROPERTY FACTS Under Contract
| Price | $4,444,209 | Property Subtype | Industrial |
| Sale Type | Investment | Proposed Use | |
| No. Lots | 1 | Total Lot Size | 26.50 AC |
| Property Type | Land | Opportunity Zone |
Yes
|
| Zoning | M - Heavy Industrial District | ||
| Price | $4,444,209 |
| Sale Type | Investment |
| No. Lots | 1 |
| Property Type | Land |
| Property Subtype | Industrial |
| Proposed Use | |
| Total Lot Size | 26.50 AC |
| Opportunity Zone |
Yes |
| Zoning | M - Heavy Industrial District |
1 LOT AVAILABLE
Lot
| Price | $4,444,209 | Lot Size | 26.50 AC |
| Price Per AC | $167,706.00 |
| Price | $4,444,209 |
| Price Per AC | $167,706.00 |
| Lot Size | 26.50 AC |
Heavy Industrial Development Land
DESCRIPTION
Discover a rare opportunity with the 12th Avenue Development Land! 26.5 acres of heavy industrial zoned property, ideally situated in West Fargo, ND. Located directly on a truck route, this site offers superior logistics access and is ready for your next industrial venture. A strategic location, ample space, and favorable financials make this a standout development opportunity in West Fargo’s expanding industrial landscape.
1 of 4
VIDEOS
MATTERPORT 3D EXTERIOR
MATTERPORT 3D TOUR
PHOTOS
STREET VIEW
STREET
MAP
Presented by
1001 NE 12th Ave
Already a member? Log In
Hmm, there seems to have been an error sending your message. Please try again.
Thanks! Your message was sent.




