This feature is unavailable at the moment.
We apologize, but the feature you are trying to access is currently unavailable. We are aware of this issue and our team is working hard to resolve the matter.
Please check back in a few minutes. We apologize for the inconvenience.
- LoopNet Team
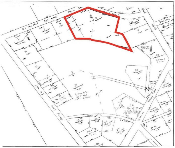
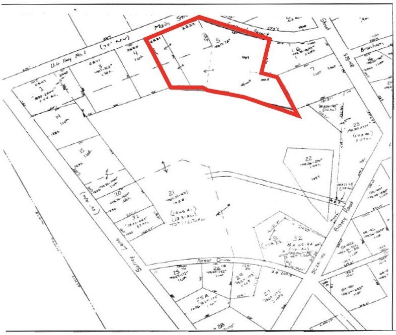
1007 Emanuel St
Elgin, SC 29045
±3.69 Acres of Land on U.S. Highway 1 · Land For Sale
·
3.69 AC

Property Facts
| Property Type | Land | Total Lot Size | 3.69 AC |
| Property Subtype | Commercial | No. Stories | 1 |
| Proposed Use |
Commercial
|
||
| Zoning | OC | ||
| Property Type | Land |
| Property Subtype | Commercial |
| Proposed Use |
Commercial
|
| Total Lot Size | 3.69 AC |
| No. Stories | 1 |
| Zoning | OC |
Description
The subject site is a ±3.69-acre property located at 1007 Emanuel Street along Main Street/Jefferson Davis Highway/U.S. Highway 1 in Elgin, South Carolina in Kershaw County. The site is located 7 miles from I-20, giving it quick and easy access to Columbia and surrounding submarkets such as Camden and Blythewood. 40,038 people live within five miles with an average household income of $85,043. Approximately 11,600 vehicles pass the site per day. Surrounding retailers include Dollar General, Family Dollar, IGA, Bojangles, O'Reilly Auto Parts, Kangaroo Express, Mid-Carolina Credit Union, First Citizens Bank, BP, Auto Zone, Subway, Food Lion, China Wok, Elgin Pharmacy, EZ Package, Elgin House of Pizza, Toy's Pizza Palace, Chavela's, Brown's Oil & Lube, Icy's Gifts and Treasures Fine Consignments, Island Tanning, Elgin Pet Shop, The Lunch Box, Family Place Consignment, Panda Garden, Blanee's Backyard Grill, San Jose Mexican, City Laundry and Cleaners, and Brewed Awakening.
Property Taxes
| Parcel Number | E348-05-00-005 | Improvements Assessment | $0 |
| Land Assessment | $278,300 | Total Assessment | $278,300 |
Property Taxes
Listing ID: 9572435
Date on Market: 10/13/2017
Last Updated:
Address: 1007 Emanuel St, Elgin, SC 29045
The Land Property at 1007 Emanuel St, Elgin, SC 29045 is no longer being advertised on LoopNet.com. Contact the broker for information on availability.
LAND PROPERTIES IN NEARBY NEIGHBORHOODS
- Northeast Arcadia Lakes Commercial Land Parcels
- Hopkins Suburban Commercial Land Parcels
- Far North Columbia Commercial Land Parcels
- St Andrews Commercial Land Parcels
- Laurel Hill Commercial Land Parcels
- University Hill Commercial Land Parcels
- Old Shandon Commercial Land Parcels
- East Central City Commercial Land Parcels
- Colonial Heights Commercial Land Parcels
- Wildewood Commercial Land Parcels
- Downtown Columbia Commercial Land Parcels
- East Columbia Commercial Land Parcels
