Log In/Sign Up
Your email has been sent.
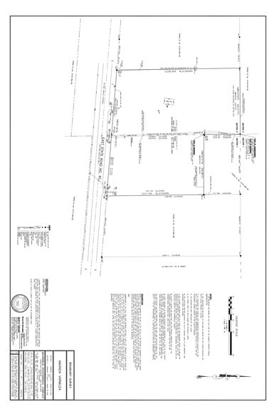
10951 Sr 40 8.53 Acres of Commercial Land Offered at $499,900 in Silver Springs, FL 34488



Investment Highlights
- Currently 14000 AADT on fast growing Hwy 40 in Silver Springs
Executive Summary
Prime vacant land in rapidly growing Silver Springs in Marion County Hwy 40 is slated to become a 4 lane road as per FDOT in the coming years. Project is slated but start date unknown. Property is currently undergoing entitlements so the entire parcel is commercial.
Taxes & Operating Expenses (Actual - 2025) Click Here to Access |
Annual | Annual Per AC |
|---|---|---|
| Taxes |
-
|
-
|
| Operating Expenses |
-
|
-
|
| Total Expenses |
$99,999
|
$9.99
|
Taxes & Operating Expenses (Actual - 2025) Click Here to Access
| Taxes | |
|---|---|
| Annual | - |
| Annual Per AC | - |
| Operating Expenses | |
|---|---|
| Annual | - |
| Annual Per AC | - |
| Total Expenses | |
|---|---|
| Annual | $99,999 |
| Annual Per AC | $9.99 |
Property Facts
1 Lot Available
Lot
| Price | $499,900 | Lot Size | 8.53 AC |
| Price Per AC | $58,604.92 |
| Price | $499,900 |
| Price Per AC | $58,604.92 |
| Lot Size | 8.53 AC |
Currently zoned as 4.82 acres of B4 Heavy commercial and 3.58 Acres of A1.
Description
8.4 acres of raw land. Currently 4.8 acres of B4 zoning and 3.58 acres of A1 zoning. Currently undergoing entitlements to update entire parcel to commercial.
1 1
Not walkable
10/100
Exceptionally drivable
100/100
Somewhat bikeable
30/100
Property Taxes
| Parcel Number | 31714-001-00 | Improvements Assessment | $0 |
| Land Assessment | $211,169 | Total Assessment | $211,169 |
Property Taxes
Parcel Number
31714-001-00
Land Assessment
$211,169
Improvements Assessment
$0
Total Assessment
$211,169
1 of 19
Videos
Matterport 3D Exterior
Matterport 3D Tour
Photos
Street View
Street
Map
1 of 1
Presented by
10951 Sr 40
Already a member? Log In
Hmm, there seems to have been an error sending your message. Please try again.
Thanks! Your message was sent.
