Your email has been sent.
1126 Macon Rd
Perry, GA 31069
Commercial Lot · Land For Sale
·
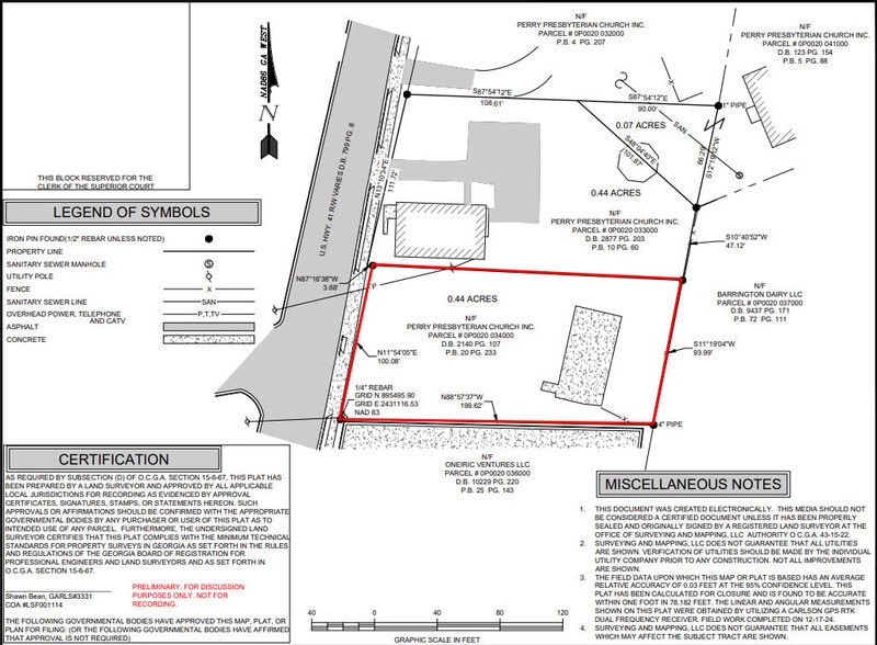
0.44 AC


Investment Highlights
- This ±0.44 acre commercial parcel offers a prime opportunity within the downtown development overlay district
- Benefits from all utilities available to the site
- According to 2023 GDOT traffic counts, Macon Road sees approximately 7,420 vehicles per day
- Zoned C-2, the property allows for a wide range of commercial uses
- Featuring approximately 97 feet of frontage along Macon Road
Executive Summary
Property Facts
1 Lot Available
Lot
| Price | $250,000 | Lot Size | 0.44 AC |
| Price Per AC | $567,846.27 |
| Price | $250,000 |
| Price Per AC | $567,846.27 |
| Lot Size | 0.44 AC |
Commercial lot of ±0.44 acres on Macon Road in Perry, GA. Zoned C-2 within the downtown development overlay, featuring 97 feet of frontage, all utilities available, and strong visibility with 7,420 VPD traffic count.
Description
Located at 1126 Macon Road in Perry, GA, this ±0.44 acre commercial parcel offers a prime opportunity within the downtown development overlay district. Zoned C-2, the property allows for a wide range of commercial uses and benefits from all utilities available to the site, streamlining the development process. Featuring approximately 97 feet of frontage along Macon Road, the site provides strong visibility and convenient access in a steadily growing corridor. According to 2023 GDOT traffic counts, Macon Road sees approximately 7,420 vehicles per day, supporting consistent exposure for future businesses.
Property Taxes
| Parcel Number | 0P0020034000 | Improvements Assessment | $0 |
| Land Assessment | $26,200 | Total Assessment | $26,200 |
