Your email has been sent.
Investment Highlights
- Prime medical use location at SE 15th and Bryant Avenue
- Site is graded and compacted
- Stormwater detention is completed
- High-traffic area with excellent visibility and accessibility
- Signal and access street installed
- All utilities are installed
Executive Summary
Edmond is renowned for its outstanding quality of life, combining the charm of historic shopping areas with modern amenities. The city offers top-notch hotels, convenient attractions, championship golf courses, and beautiful public art on almost every corner.
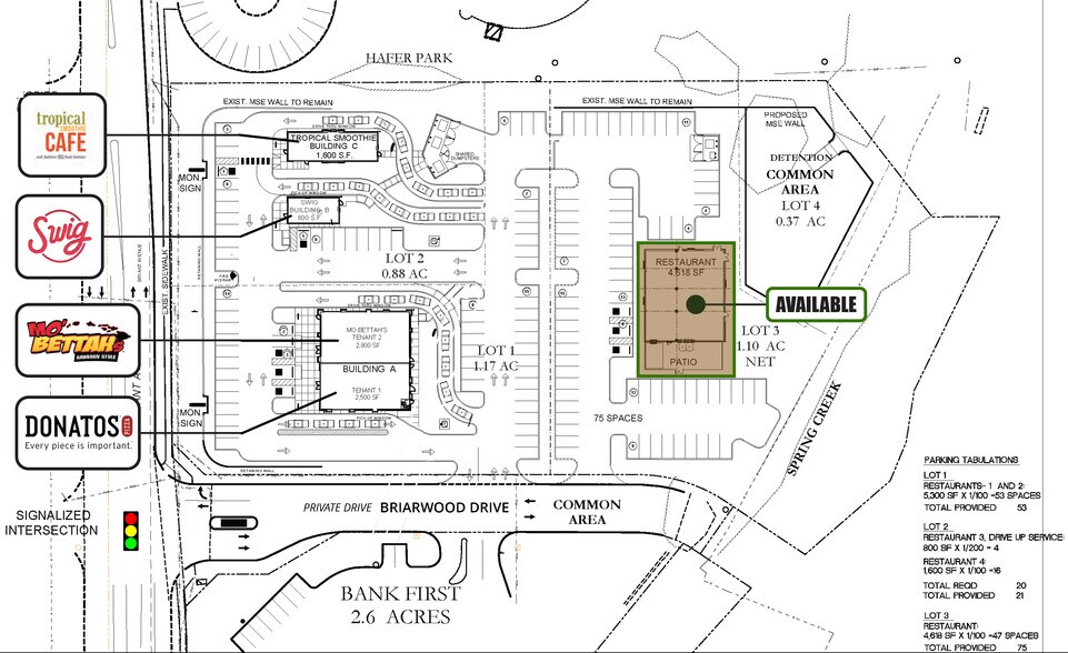
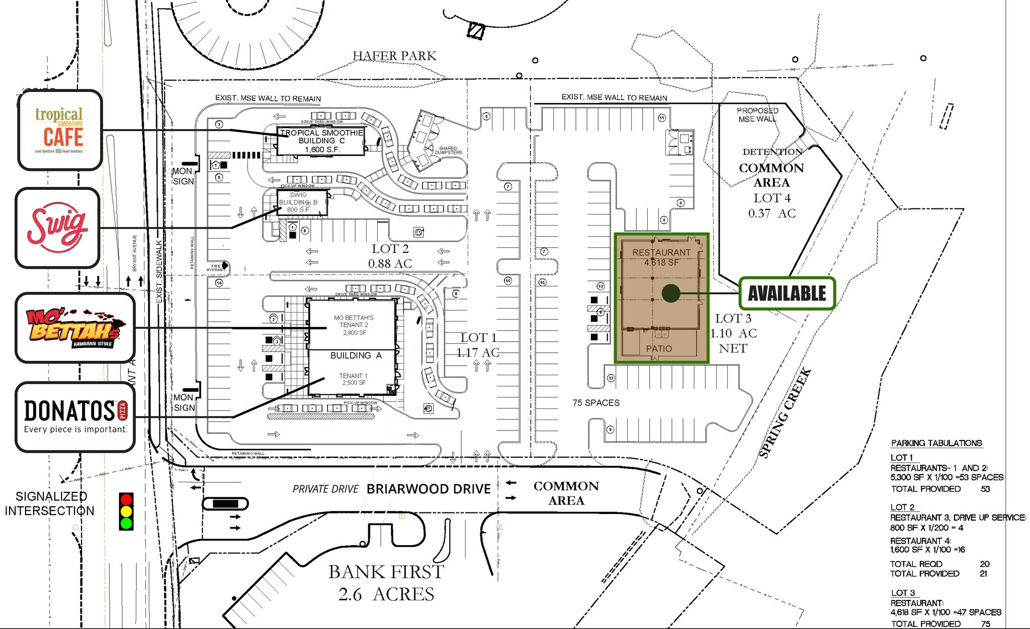
Surrounded by popular restaurants like Tropical Smoothie Cafe, Swig, Mo' Bettah, and Donato's Pizza.
Property Facts
1 Lot Available
Lot 3
| Lot Size | 1.10 AC |
| Lot Size | 1.10 AC |
1.1 acres of graded and compacted commercial land. Prime medical use location at SE 15th and Bryant Avenue High-traffic area with excellent visibility and accessibility Site is graded and compacted Signal and access street installed Stormwater detent
Description
Lot 3 located at the highly sought-after intersection of SE 15th and Bryant Avenue in Edmond, OK. Situated in one of Edmond's most desirable areas, this outparcel site is surrounded by a thriving retail and dining hub, including popular restaurants like Tropical Smoothie Cafe, Swig, Mo’ Bettah, and Donato’s Pizza. With this high-traffic location, your business will benefit from exceptional visibility and access, making it ideal for medical use or other professional services. Edmond is renowned for its outstanding quality of life, combining the charm of historic shopping areas with modern amenities. The city offers top-notch hotels, convenient attractions, championship golf courses, and beautiful public art on almost every corner. Surrounded by popular restaurants like Tropical Smoothie Cafe, Swig, Mo' Bettah, and Donato's Pizza.
Property Taxes
| Parcel Number | 209801000 | Improvements Assessment | $0 |
| Land Assessment | $13,084 | Total Assessment | $13,084 |
Property Taxes
Presented by
1138 S Bryant Ave - Spring Creek Village Outlot
Hmm, there seems to have been an error sending your message. Please try again.
Thanks! Your message was sent.




