Log In/Sign Up
Your email has been sent.
Investment Highlights
- Highly Visible on Ritner Highway (aka US11)
- Two Curb Cuts
- Also Suitable as Investor Opportunity by Extending Current Leases or Re-tenanting
- Abundant Parking at 5.78 Surface Spaces per 1,000 SF GLA
- Opportunity for Immediate Owner-Occupant Purchaser
Executive Summary
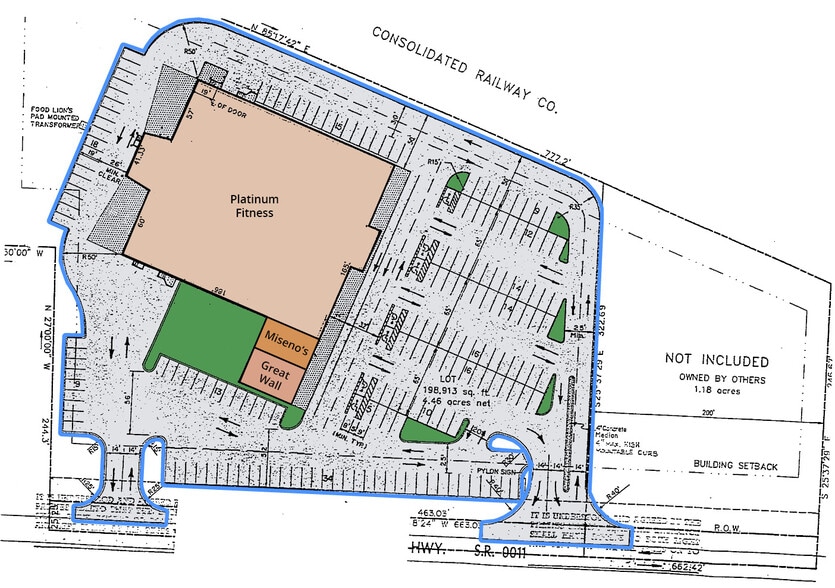
Colliers is the owner’s exclusive agent to market and sell this 32,000 gross leasable square foot property,
initially anchored by Food Lion Supermarket, at 1225 Ritner Highway in Carlisle, Pennsylvania, 17103. The suggested price is $2,500,000, approximately $78 per square foot of GLA. OWNER WILL RESPOND TO ALL OFFERS!
The 4.47-acre Property offers 450 linear feet of frontage on busy Ritner Highway (aka West High Street and
US 11).
1225 Ritner is adjacent to Dickinson College, NYSE-listed Carlisle Companies (CSL), and the heart of Carlisle Borough. Interchanges with I-76 and I-81 within four and two miles of the Property have spurred the development of 26,000,000 square feet of industrial distribution within a five-mile radius.
The Property is now fully occupied by three tenants. Platinum Fitness occupies 29,000 SF on a lease expiring 06/30/2026. Great Wall Chinese in 1,500 SF is negotiating its renewal through 12/31/2026. Miseno’s PIzza rounds out the property with 1,500 SF extending through 08/31/2037.
This situation would allow a buyer to terminate the large 29,000 SF block mid-year 2026 and occupy it as an OWNER-OCCUPANT. Alternatively, an INVESTOR purchaser might extend the lease term or replace the short term tenants with new market-rate, longer term tenants.
1225 Ritner is adjacent to Dickinson College, NYSE-listed Carlisle Companies (CSL), and the heart of
Carlisle Borough.
Interchanges with I-76 and I-81 within four and two miles of the Property have spurred the
development of 26,000,000 square feet of industrial distribution within a five-mile radius.
initially anchored by Food Lion Supermarket, at 1225 Ritner Highway in Carlisle, Pennsylvania, 17103. The suggested price is $2,500,000, approximately $78 per square foot of GLA. OWNER WILL RESPOND TO ALL OFFERS!
The 4.47-acre Property offers 450 linear feet of frontage on busy Ritner Highway (aka West High Street and
US 11).
1225 Ritner is adjacent to Dickinson College, NYSE-listed Carlisle Companies (CSL), and the heart of Carlisle Borough. Interchanges with I-76 and I-81 within four and two miles of the Property have spurred the development of 26,000,000 square feet of industrial distribution within a five-mile radius.
The Property is now fully occupied by three tenants. Platinum Fitness occupies 29,000 SF on a lease expiring 06/30/2026. Great Wall Chinese in 1,500 SF is negotiating its renewal through 12/31/2026. Miseno’s PIzza rounds out the property with 1,500 SF extending through 08/31/2037.
This situation would allow a buyer to terminate the large 29,000 SF block mid-year 2026 and occupy it as an OWNER-OCCUPANT. Alternatively, an INVESTOR purchaser might extend the lease term or replace the short term tenants with new market-rate, longer term tenants.
1225 Ritner is adjacent to Dickinson College, NYSE-listed Carlisle Companies (CSL), and the heart of
Carlisle Borough.
Interchanges with I-76 and I-81 within four and two miles of the Property have spurred the
development of 26,000,000 square feet of industrial distribution within a five-mile radius.
Data Room Click Here to Access
Property Facts Under Contract
Sale Type
Investment
Property Type
Retail
Property Subtype
Building Size
32,000 SF
Building Class
C
Year Built
1993
Price
$2,500,000
Price Per SF
$78.13
Percent Leased
100%
Tenancy
Multiple
Building Height
1 Story
Loading Docks
3 Exterior
Building FAR
0.16
Lot Size
4.47 AC
Zoning
C3 General Commercial - supports high-intensity commercial use with large building footprints and significant parking requirements
Parking
185 Spaces (5.78 Spaces per 1,000 SF Leased)
Frontage
450’ on Ritner Highway
Amenities
- Pylon Sign
Major Tenants Click Here to Access
- Tenant
- Industry
- SF Occupied
- Rent/SF
- Lease Type
- Lease End
- Great Wall Restaurant
- Accommodation and Food Services
-
99,999 SF
- -
-
Lorem Ipsum
- -
- Miseno's Pizza & Ristorante
- Accommodation and Food Services
-
99,999 SF
- -
-
Lorem Ipsum
-
Jan 0000
- Platinum Fitness
- Arts, Entertainment, and Recreation
-
99,999 SF
- -
-
Lorem Ipsum
- -
| Tenant | Industry | SF Occupied | Rent/SF | Lease Type | Lease End | |
| Great Wall Restaurant | Accommodation and Food Services | 99,999 SF | - | Lorem Ipsum | - | |
| Miseno's Pizza & Ristorante | Accommodation and Food Services | 99,999 SF | - | Lorem Ipsum | Jan 0000 | |
| Platinum Fitness | Arts, Entertainment, and Recreation | 99,999 SF | - | Lorem Ipsum | - |
Nearby Major Retailers
Property Taxes
| Parcel Number | 49-08-0579-016 | Improvements Assessment | $3,297,000 |
| Land Assessment | $573,500 | Total Assessment | $3,870,500 |
Property Taxes
Parcel Number
49-08-0579-016
Land Assessment
$573,500
Improvements Assessment
$3,297,000
Total Assessment
$3,870,500
1 of 17
Videos
Matterport 3D Exterior
Matterport 3D Tour
Photos
Street View
Street
Map
Presented by
1225 Ritner Hwy
Already a member? Log In
Hmm, there seems to have been an error sending your message. Please try again.
Thanks! Your message was sent.
Your message has been sent!
Activate your LoopNet account now to track properties, get real-time alerts, save time on future inquiries, and more.



