Log In/Sign Up
Your email has been sent.
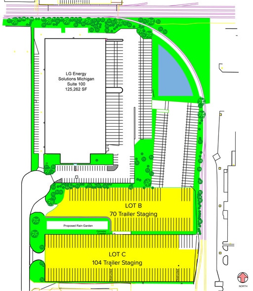
12350 Sears St
Livonia, MI 48150
Trailer Parking · Land For Lease

1 of 2
Videos
Matterport 3D Exterior
Matterport 3D Tour
Photos
Street View
Street
Map
