Log In/Sign Up
Your email has been sent.
Highlights
- New O'Reilly's and Wash City Car Wash
- High exposure 38,000+ cars per day
- New retail development on Duncan Drive
- For Purchase or Ground Lease
- Lot is entitled for 2,500 +/- sf.
- Great visibility
LOT Available
Display Rental Rate as
| Rental Rate |
|
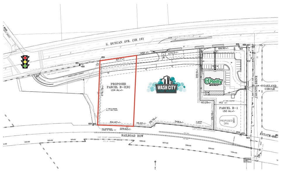
Lot Size | 1.04 AC |
| Lease Term | 10 Years |
| Rental Rate | |
| Lease Term | 10 Years |
| Lot Size | 1.04 AC |
Lot is entitled for 2,500 +/- sf
Property Overview
1.04 +/- AC vacant land available for sale or ground lease on the corner of S Duncan Drive and County Road in Tavares, Florida. Location features excellent street visibility and heavy traffic counts. Service road access with co-retailers, the newly constructed O'Reilly Auto Parts and Wash City Car Wash. Lot is entitled for 2,500 +/- sf.
Property Facts
1 1
Somewhat walkable
30/100
Exceptionally drivable
100/100
Limited public transit
30/100
Somewhat bikeable
30/100
1 of 6
Videos
Matterport 3D Exterior
Matterport 3D Tour
Photos
Street View
Street
Map
1 of 1
Presented by
1299 S Duncan Dr
Already a member? Log In
Hmm, there seems to have been an error sending your message. Please try again.
Thanks! Your message was sent.



