Log In/Sign Up
Your email has been sent.
1330 W Cal Cam Line Rd
Lake Charles, LA 70607
- Lanier Mini Farms - · Land For Sale
·
35.55 AC


EXECUTIVE SUMMARY
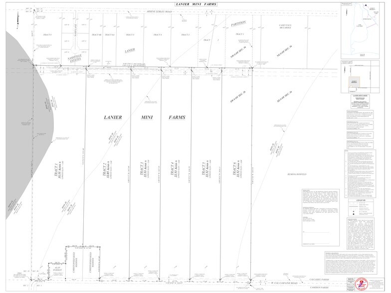
THIS LARGE TRACT HAS BEEN OFFICIALLY RESUBDIVIDED BY OWNERSHIP. PROPERTY NOWS CONSISTS OF SEVERAL 20+ ACRE TRACTS AND TWO 30+ ACRE TRACTS. THIS IS TRACT 1 - AND MEASURES 35.55 ACRES. PLAT OF PROPERTY IS ATTACHED. NOTE IN ATTACHED PLAT THE FRONTAGE IS SHARED WITH DIFFERENT PORPERTY OWNER. CARVE OUT IS 3-ACRES.
PROPERTY FACTS
| Sale Type | Owner User | Property Subtype | Commercial |
| No. Lots | 1 | Proposed Use | Commercial |
| Property Type | Land | Total Lot Size | 35.55 AC |
| Sale Type | Owner User |
| No. Lots | 1 |
| Property Type | Land |
| Property Subtype | Commercial |
| Proposed Use | Commercial |
| Total Lot Size | 35.55 AC |
1 LOT AVAILABLE
Lot 1
| Price | $384,000 | Lot Size | 35.55 AC |
| Price Per AC | $10,801.69 |
| Price | $384,000 |
| Price Per AC | $10,801.69 |
| Lot Size | 35.55 AC |
PROPERTY TAXES
| Parcel Number | 00767271 | Improvements Assessment | $0 |
| Land Assessment | $120 | Total Assessment | $120 |
PROPERTY TAXES
Parcel Number
00767271
Land Assessment
$120
Improvements Assessment
$0
Total Assessment
$120
1 of 3
VIDEOS
MATTERPORT 3D EXTERIOR
MATTERPORT 3D TOUR
PHOTOS
STREET VIEW
STREET
MAP
