Your email has been sent.
1355 NE 119th St 0.75 Acres of Industrial Land Offered at $2,900,000 in Miami, FL 33161

Investment Highlights
- Strategic infill location near Biscayne Blvd and I-95
- Surrounded by retail, residential, and civic amenities
- Minutes from Downtown Miami, Miami Beach, and Aventura
- Cleared and level site with utilities at the street
- Zoning supports medium-density commercial or residential
- Strong demand for infill development in North Miami
Executive Summary
Property Facts
| Price | $2,900,000 | Property Subtype | Industrial |
| Sale Type | Investment or Owner User | Proposed Use | |
| No. Lots | 1 | Total Lot Size | 0.75 AC |
| Property Type | Land | ||
| Zoning | 7100 - Commercial Business | ||
| Price | $2,900,000 |
| Sale Type | Investment or Owner User |
| No. Lots | 1 |
| Property Type | Land |
| Property Subtype | Industrial |
| Proposed Use | |
| Total Lot Size | 0.75 AC |
| Zoning | 7100 - Commercial Business |
1 Lot Available
Lot
| Price | $2,900,000 | Lot Size | 0.75 AC |
| Price Per AC | $3,866,666.67 |
| Price | $2,900,000 |
| Price Per AC | $3,866,666.67 |
| Lot Size | 0.75 AC |
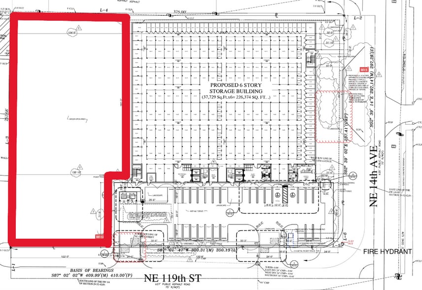
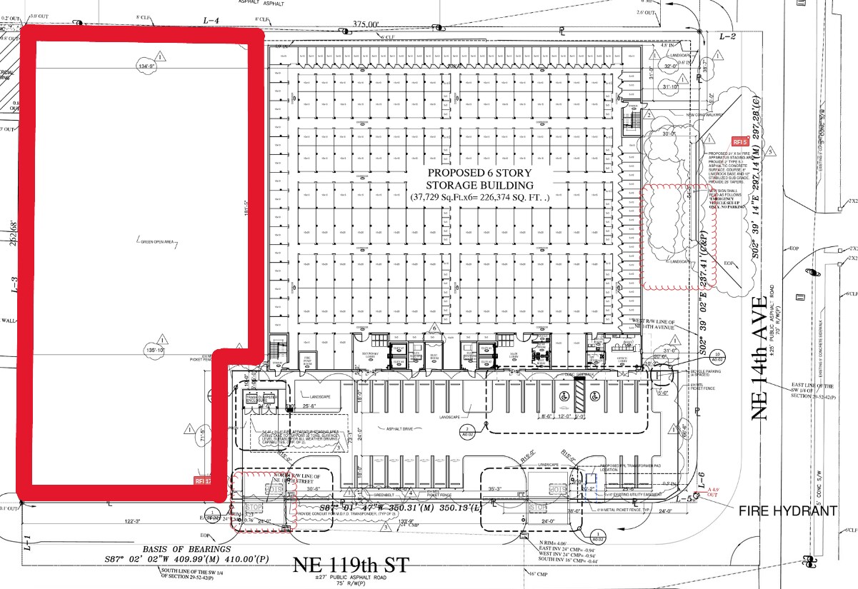
0.75 acre parcel for sale. Miami-Dade County Industrial zoning.
Description
Located in the heart of North Miami, this 0.75-acre development-ready parcel offers a rare opportunity to acquire prime land in one of South Florida’s most dynamic urban corridors. Positioned just off Biscayne Boulevard and minutes from I-95, the site benefits from excellent connectivity to Downtown Miami, Miami Beach, and Aventura, making it ideal for a wide range of commercial or residential development. With increasing demand for infill sites in Miami-Dade County and limited supply in the North Miami submarket, this site offers strong fundamentals for long-term value creation. Whether for a build-to-suit project or speculative development, the location and scale of this parcel make it a compelling investment opportunity.
Property Taxes
| Parcel Number | 30-2229-074-0050 | Improvements Assessment | $0 |
| Land Assessment | $4,911,100 | Total Assessment | $4,911,100 |
Property Taxes
Presented by
Stor-All Storage
1355 NE 119th St
Hmm, there seems to have been an error sending your message. Please try again.
Thanks! Your message was sent.
