1403 Moore Rd St | Stafford, TX 77477
This feature is unavailable at the moment.
We apologize, but the feature you are trying to access is currently unavailable. We are aware of this issue and our team is working hard to resolve the matter.
Please check back in a few minutes. We apologize for the inconvenience.
- LoopNet Team
This Land Property is no longer advertised on LoopNet.com.
1403 Moore Rd St
Stafford, TX 77477
Land For Sale
·
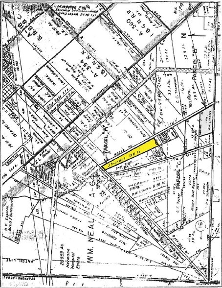
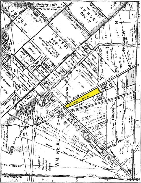
11.16 AC

PROPERTY FACTS
| Property Type | Land | Proposed Use |
Industrial
|
| Property Subtype | Commercial | Total Lot Size | 11.16 AC |
| Zoning | None - Unrestricted | ||
| Property Type | Land |
| Property Subtype | Commercial |
| Proposed Use |
Industrial
|
| Total Lot Size | 11.16 AC |
| Zoning | None - Unrestricted |
PROPERTY TAXES
| Parcel Number | 0064-00-000-1850-907 | Improvements Assessment | $0 |
| Land Assessment | $1,207,225 | Total Assessment | $1,207,225 |
PROPERTY TAXES
Parcel Number
0064-00-000-1850-907
Land Assessment
$1,207,225
Improvements Assessment
$0
Total Assessment
$1,207,225
Listing ID: 15165953
Date on Market: 2/13/2019
Last Updated:
Address: 1403 Moore Rd St, Stafford, TX 77477
The Stafford Oaks Land Property at 1403 Moore Rd St, Stafford, TX 77477 is no longer being advertised on LoopNet.com. Contact the broker for information on availability.
LAND PROPERTIES IN NEARBY NEIGHBORHOODS
- Fort Bend Houston Commercial Land
- Central Southwest Commercial Land
- Quail Valley Commercial Land
- Sienna Plantation Commercial Land
- Shadow Creek Ranch Commercial Land
- Alief Commercial Land
- Mission Bend Commercial Land
- Sugar Creek Commercial Land
- Greater Fondren Southwest Commercial Land
- Woodlake-Briar Meadow Commercial Land
- Teal Run Commercial Land
- Four Corners Commercial Land
- Greatwood Commercial Land
- Stafford Oaks Commercial Land
- Sugar Ridge Commercial Land
NEARBY LISTINGS
- 507 Dulles Ave, Stafford TX
- 0 Independence Blvd, Missouri City TX
- 306 Present St, Stafford TX
- 10655 Stancliff Rd, Houston TX
- 4311 Main st, Stafford TX
- 2023 5th st, Stafford TX
- 1911 FM 1092, Missouri City TX
- 12409 S Gessner Rd, Houston TX
- 10403 Forum Park Dr, Houston TX
- 14027 Stafford, Stafford TX
- 4633 Cartwright Rd, Missouri City TX
- Hwy 6 (13.3 AC), Missouri City TX
- S Gessner Road, Missouri City TX
- 7600 W Airport Blvd, Houston TX
- 0 Altonbury Lane, Houston TX
1 of 1
VIDEOS
MATTERPORT 3D EXTERIOR
MATTERPORT 3D TOUR
PHOTOS
STREET VIEW
STREET
MAP

Link copied
Your LoopNet account has been created!
Thank you for your feedback.
Please Share Your Feedback
We welcome any feedback on how we can improve LoopNet to better serve your needs.X
{{ getErrorText(feedbackForm.starRating, "rating") }}
255 character limit ({{ remainingChars() }} charactercharacters remainingover)
{{ getErrorText(feedbackForm.msg, "rating") }}
{{ getErrorText(feedbackForm.fname, "first name") }}
{{ getErrorText(feedbackForm.lname, "last name") }}
{{ getErrorText(feedbackForm.phone, "phone number") }}
{{ getErrorText(feedbackForm.phonex, "phone extension") }}
{{ getErrorText(feedbackForm.email, "email address") }}
You can provide feedback any time using the Help button at the top of the page.