Property Record
407 Robert Parker Coffin Rd, Long Grove, IL 60047
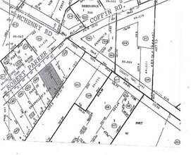
Property Detail
407 Robert Parker Coffin Rd
Chicago-Naperville-Elgin, IL-IN
W F GOSSWILLERS SUB THAT PT LOT 2 LYG W OF A LN RNNG S FR A PNT ON N LN SD LOT WH IS 30 FT ELY OF NW COR THOF TO A PNT ON S LN SD LOT WH IS 30.81 FT NELY OF SW COR SD LOT & ALL
15-30-105-007
Lake
Commercialbuilding
Illinois
B and X Area of moderate flood hazard, usually the area between the limits of the 100-year and 500-year floods.
2
2023
0.30 AC
2024
Central Northwest
864515
Chicago
NEARBY LISTINGS FOR SALE OR LEASE
DEMOGRAPHICS near 407 Robert Parker Coffin Rd
1 mile
3 mile
5 mile
2025 Total Population
9,754
74,895
222,869
2030 Population
10,118
75,981
225,903
Pop Growth 2025-2030
+ 3.73%
+ 1.45%
+ 1.36%
Average Age
42
41
41
2025 Total Households
3,241
26,981
83,786
HH Growth 2025-2030
+ 3.61%
+ 1.22%
+ 1.22%
Median Household Inc
$205,171
$126,869
$114,057
Avg Household Size
2.90
2.70
2.60
2025 Avg HH Vehicles
2.00
2.00
2.00
Median Home Value
$621,108
$448,256
$399,901
Median Year Built
1987
1983
1980
Nearby Places
Map Layers
Listings with unknown addresses are not visible on the map
- Restaurants
- Banks
- Shops
- Fitness
- Groceries
PUBLIC TRANSPORTATION
COMMUTER RAIL
Buffalo Grove Station (North Central Service - Northeast Illinois Regional Commuter Railroad (Metra))
Drive
Walk
Distance
Buffalo Grove Station (North Central Service - Northeast Illinois Regional Commuter Railroad (Metra))
7 min
3.4 mi
Prairie View Station (North Central Service - Northeast Illinois Regional Commuter Railroad (Metra))
Drive
Walk
Distance
Prairie View Station (North Central Service - Northeast Illinois Regional Commuter Railroad (Metra))
8 min
4.1 mi
AIRPORT
Chicago O'Hare International
Drive
Walk
Distance
Chicago O'Hare International
31 min
20.1 mi
Chicago Midway International
Drive
Walk
Distance
Chicago Midway International
56 min
39.3 mi
Freight Ports
Port Milwaukee
Drive
Walk
Distance
Port Milwaukee
81 min
62.5 mi
SALE & LEASE HISTORY
LISTING DATE
SALE/LEASE
Nearby Properties
Address
Land Use
TOTAL SIZE
Lot Size
Zoning
Address
Land Use
TOTAL SIZE
Lot Size
Zoning
89.48 AC
Address
Land Use
TOTAL SIZE
Lot Size
Zoning
91.65 AC
Address
Land Use
TOTAL SIZE
Lot Size
Zoning
1,692 SF
27.07 AC
Address
Land Use
TOTAL SIZE
Lot Size
Zoning
622,896 SF
3.94 AC
Address
Land Use
TOTAL SIZE
Lot Size
Zoning
12.86 AC
Address
Land Use
TOTAL SIZE
Lot Size
Zoning
Address
Land Use
TOTAL SIZE
Lot Size
Zoning
Address
Land Use
TOTAL SIZE
Lot Size
Zoning
Address
Land Use
TOTAL SIZE
Lot Size
Zoning
Address
Land Use
TOTAL SIZE
Lot Size
Zoning
197,097 SF
21.80 AC
Address
Land Use
TOTAL SIZE
Lot Size
Zoning
22.16 AC
Address
Land Use
TOTAL SIZE
Lot Size
Zoning
Address
Land Use
TOTAL SIZE
Lot Size
Zoning
214,428 SF
17.29 AC
Address
Land Use
TOTAL SIZE
Lot Size
Zoning
392,574 SF
25.82 AC
Address
Land Use
TOTAL SIZE
Lot Size
Zoning
Address
Land Use
TOTAL SIZE
Lot Size
Zoning
493,632 SF
31.51 AC
Address
Land Use
TOTAL SIZE
Lot Size
Zoning
102,425 SF
9.38 AC
Address
Land Use
TOTAL SIZE
Lot Size
Zoning
Address
Land Use
TOTAL SIZE
Lot Size
Zoning
9.08 AC
Address
Land Use
TOTAL SIZE
Lot Size
Zoning
151,643 SF
11.18 AC
Address
Land Use
TOTAL SIZE
Lot Size
Zoning
Address
Land Use
TOTAL SIZE
Lot Size
Zoning
365,127 SF
16.31 AC
Address
Land Use
TOTAL SIZE
Lot Size
Zoning
Address
Land Use
TOTAL SIZE
Lot Size
Zoning
152,838 SF
10.05 AC
Address
Land Use
TOTAL SIZE
Lot Size
Zoning
Address
Land Use
TOTAL SIZE
Lot Size
Zoning
4,000 SF
1.41 AC
Address
Land Use
TOTAL SIZE
Lot Size
Zoning
162,375 SF
15.36 AC
Address
Land Use
TOTAL SIZE
Lot Size
Zoning
12.13 AC
Address
Land Use
TOTAL SIZE
Lot Size
Zoning
4.63 AC
Address
Land Use
TOTAL SIZE
Lot Size
Zoning
18.36 AC








