Log In/Sign Up
Enter your email to login or create a free account
This feature is unavailable at the moment.
We apologize, but the feature you are trying to access is currently unavailable. We are aware of this issue and our team is working hard to resolve the matter.
Please check back in a few minutes. We apologize for the inconvenience.
- LoopNet Team
This Land Property is no longer advertised on LoopNet.com.
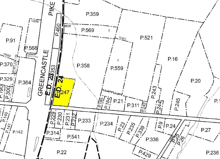
16512 National Pike
Hagerstown, MD 21740
Land For Sale
·
2.00 AC

Investment Highlights
- Heavy Foot Traffic
Property Facts
| Property Type | Land | Total Lot Size | 2.00 AC |
| Property Subtype | Commercial | ||
| Zoning | BG | ||
| Property Type | Land |
| Property Subtype | Commercial |
| Total Lot Size | 2.00 AC |
| Zoning | BG |
Links
Property Taxes
| Parcel Number | 23-006111 | Improvements Assessment | $0 |
| Land Assessment | $211,900 | Total Assessment | $211,900 |
Property Taxes
Parcel Number
23-006111
Land Assessment
$211,900
Improvements Assessment
$0
Total Assessment
$211,900
Listing ID: 37708403
Date on Market: 9/17/2025
Last Updated:
Address: 16512 National Pike, Hagerstown, MD 21740
The Outer Downtown/Maugansville Land Property at 16512 National Pike, Hagerstown, MD 21740 is no longer being advertised on LoopNet.com. Contact the broker for information on availability.
LAND PROPERTIES IN NEARBY NEIGHBORHOODS
NEARBY LISTINGS
- Southern Blvd, Hagerstown MD
- 13725 Pennsylvania Ave, Hagerstown MD
- Insurance Way, Hagerstown MD
- 127 Summit ave, Hagerstown MD
- 11543 French Ln, Hagerstown MD
- 13713 Pennsyvania, Hagerstown MD
- 18230 Shawley Dr, Hagerstown MD
- Stotler, Hagerstown MD
- Label Ln, Hagerstown MD
- 15321 National Pike, Hagerstown MD
1 of 1
Videos
Matterport 3D Exterior
Matterport 3D Tour
Photos
Street View
Street
Map

Link copied
Your LoopNet account has been created!
Thank you for your feedback.
Please Share Your Feedback
We welcome any feedback on how we can improve LoopNet to better serve your needs.X
{{ getErrorText(feedbackForm.starRating, "rating") }}
255 character limit ({{ remainingChars() }} charactercharacters remainingover)
{{ getErrorText(feedbackForm.msg, "rating") }}
{{ getErrorText(feedbackForm.fname, "first name") }}
{{ getErrorText(feedbackForm.lname, "last name") }}
{{ getErrorText(feedbackForm.phone, "phone number") }}
{{ getErrorText(feedbackForm.phonex, "phone extension") }}
{{ getErrorText(feedbackForm.email, "email address") }}
You can provide feedback any time using the Help button at the top of the page.