Property Record
750 W Thurber Rd, Tucson, AZ 85705
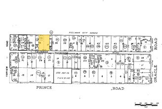
Property Detail
750 W Thurber Rd
106-05-126C
PULLMAN CITY ADDN E84.5 LOT 36 & W102 LOT 37
Apartment
Pima
R3
Arizona
B and X Area of moderate flood hazard, usually the area between the limits of the 100-year and 500-year floods.
36
2025
1.20 AC
2026
Ward 3
004508
Tucson
23,832 SF
Tucson, AZ
NEARBY LISTINGS FOR SALE OR LEASE
DEMOGRAPHICS near 750 W Thurber Rd
1 mile
3 mile
5 mile
2024 Total Population
17,044
109,506
234,831
2029 Population
17,585
113,328
241,882
Pop Growth 2024-2029
+ 3.17%
+ 3.49%
+ 3.00%
Average Age
40
38
39
2024 Total Households
7,721
50,154
105,644
HH Growth 2024-2029
+ 3.22%
+ 3.54%
+ 3.15%
Median Household Inc
$35,753
$43,534
$52,545
Avg Household Size
2.10
2.10
2.10
2024 Avg HH Vehicles
1.00
1.00
2.00
Median Home Value
$86,453
$235,431
$323,043
Median Year Built
1978
1980
1978
Nearby Places
Map Layers
Listings with unknown addresses are not visible on the map
- Restaurants
- Banks
- Shops
- Fitness
- Groceries
PUBLIC TRANSPORTATION
COMMUTER RAIL
Tucson Amtrak Station (Sunset Limited - Amtrak, Texas Eagle - Amtrak)
Drive
Walk
Distance
Tucson Amtrak Station (Sunset Limited - Amtrak, Texas Eagle - Amtrak)
10 min
4.4 mi
AIRPORT
Tucson International
Drive
Walk
Distance
Tucson International
23 min
12.9 mi
Freight Ports
Port of San Diego
Drive
Walk
Distance
Port of San Diego
431 min
405.6 mi
Nearby Properties
Address
Land Use
TOTAL SIZE
Lot Size
Zoning
Address
Land Use
TOTAL SIZE
Lot Size
Zoning
134,710 SF
9.59 AC
I1
Address
Land Use
TOTAL SIZE
Lot Size
Zoning
106,852 SF
19.50 AC
I1
Address
Land Use
TOTAL SIZE
Lot Size
Zoning
640,899 SF
13.61 AC
Address
Land Use
TOTAL SIZE
Lot Size
Zoning
451,596 SF
18.92 AC
C3
Address
Land Use
TOTAL SIZE
Lot Size
Zoning
21,126 SF
1.10 AC
O3
Address
Land Use
TOTAL SIZE
Lot Size
Zoning
39,508 SF
7.29 AC
MU
Address
Land Use
TOTAL SIZE
Lot Size
Zoning
346,246 SF
0.14 AC
R2
Address
Land Use
TOTAL SIZE
Lot Size
Zoning
145,357 SF
8.29 AC
C1
Address
Land Use
TOTAL SIZE
Lot Size
Zoning
251,043 SF
14.96 AC
Address
Land Use
TOTAL SIZE
Lot Size
Zoning
119,165 SF
21.85 AC
I1
Address
Land Use
TOTAL SIZE
Lot Size
Zoning
139,733 SF
9.80 AC
C3
Address
Land Use
TOTAL SIZE
Lot Size
Zoning
290,039 SF
1.98 AC
C3
Address
Land Use
TOTAL SIZE
Lot Size
Zoning
177,018 SF
16.78 AC
C2
Address
Land Use
TOTAL SIZE
Lot Size
Zoning
310,562 SF
16.89 AC
R3
Address
Land Use
TOTAL SIZE
Lot Size
Zoning
36,100 SF
2.42 AC
I1
Address
Land Use
TOTAL SIZE
Lot Size
Zoning
312,586 SF
28.73 AC
Address
Land Use
TOTAL SIZE
Lot Size
Zoning
24,100 SF
4.96 AC
MU
Address
Land Use
TOTAL SIZE
Lot Size
Zoning
21,000 SF
9.34 AC
Address
Land Use
TOTAL SIZE
Lot Size
Zoning
209,967 SF
14.19 AC
Address
Land Use
TOTAL SIZE
Lot Size
Zoning
19,892 SF
3.36 AC
CB1
Address
Land Use
TOTAL SIZE
Lot Size
Zoning
239,446 SF
33 AC
R2
Address
Land Use
TOTAL SIZE
Lot Size
Zoning
68,107 SF
4.34 AC
Address
Land Use
TOTAL SIZE
Lot Size
Zoning
309,905 SF
13.09 AC
SP
Address
Land Use
TOTAL SIZE
Lot Size
Zoning
275,370 SF
18.03 AC
CR4
Address
Land Use
TOTAL SIZE
Lot Size
Zoning
324,571 SF
7.80 AC
C3
Address
Land Use
TOTAL SIZE
Lot Size
Zoning
4,712 SF
13.08 AC
Address
Land Use
TOTAL SIZE
Lot Size
Zoning
251,672 SF
13.88 AC
TR
Address
Land Use
TOTAL SIZE
Lot Size
Zoning
79,168 SF
3.98 AC
C3
Address
Land Use
TOTAL SIZE
Lot Size
Zoning
93,449 SF
7.04 AC
C3
Address
Land Use
TOTAL SIZE
Lot Size
Zoning
199,949 SF
20.27 AC








