Enter your email to login or create a free account
This feature is unavailable at the moment.
We apologize, but the feature you are trying to access is currently unavailable. We are aware of this issue and our team is working hard to resolve the matter.
Please check back in a few minutes. We apologize for the inconvenience.
- LoopNet Team
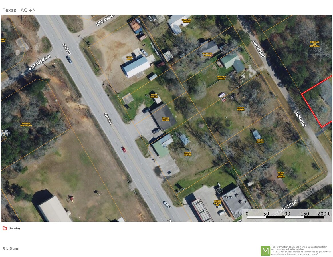
16875 FM 1314 Rd
Conroe, TX 77302
16875 FM 1314 Road · Land For Sale
·
0.52 AC

Investment Highlights
- Heavy Travel Road on FM 1314
- Rapidly growing area
- New Mixed-Use Development
Property Facts
| Property Type | Land | Total Lot Size | 0.52 AC |
| Property Subtype | Commercial | No. Stories | 1 |
| Proposed Use |
Commercial
|
Year Built | 1984 |
| Zoning | 1 | ||
| Property Type | Land |
| Property Subtype | Commercial |
| Proposed Use |
Commercial
|
| Total Lot Size | 0.52 AC |
| No. Stories | 1 |
| Year Built | 1984 |
| Zoning | 1 |
Description
2.4 Acres For Sale - 7 Lots - Four facing FM 1314 is Commercial Use Three lots on Ardmore is deeded Residential, however, they are Unrestricted and No HOA for past estimated 40 years. Area consists of trailer homes, and several small businesses. Mixed-Use Development Retail, Industrial, Storage, Multiple Family Mixed-Use Development
Links
Property Taxes
| Parcel Number | 2140-02-06500 | Improvements Assessment | $133,652 |
| Land Assessment | $27,965 | Total Assessment | $161,617 |
Property Taxes
Listing ID: 25814727
Date on Market: 5/30/2022
Last Updated:
Address: 16875 FM 1314 Rd, Conroe, TX 77302
The Porter Heights/Woodbranch Land Property at 16875 FM 1314 Rd, Conroe, TX 77302 is no longer being advertised on LoopNet.com. Contact the broker for information on availability.
NEARBY LISTINGS
- 13527 McComb Rd, Conroe TX
- 16689 FM 1485 Rd, Conroe TX
- 10527 SH 242, Conroe TX
- 18450 FM 1314, Conroe TX
- 16010 FM 3083 Rd, Conroe TX
- 0 HWY 242 TBD Hwy 242 Hwy, Conroe TX
- 18186 Blackberry Rd, Conroe TX
- 20288 Fm 1314 Rd, Porter TX
- 19071 Old Houston Rd, Conroe TX
- 2090 & FM 1485, Conroe TX
- 10661 Highway 242, Conroe TX
- SH 242 & FM 1485, Conroe TX
- 10671 Highway 242, Conroe TX
- 13770 FM 3083, Conroe TX
- 16444 FM 2090, Conroe TX
