1799 Langrum Ct | York, SC 29745
This feature is unavailable at the moment.
We apologize, but the feature you are trying to access is currently unavailable. We are aware of this issue and our team is working hard to resolve the matter.
Please check back in a few minutes. We apologize for the inconvenience.
- LoopNet Team
This Industrial Property is no longer advertised on LoopNet.com.
1799 Langrum Ct
York, SC 29745
Industrial Property For Sale

PROPERTY FACTS
| Property Type | Industrial | Year Built | 2016 |
| Property Subtype | Warehouse | Tenancy | Single |
| Building Class | C | Parking Ratio | 0.75/1,000 SF |
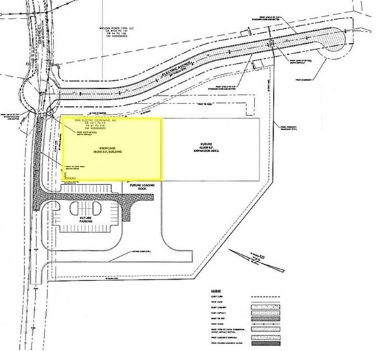
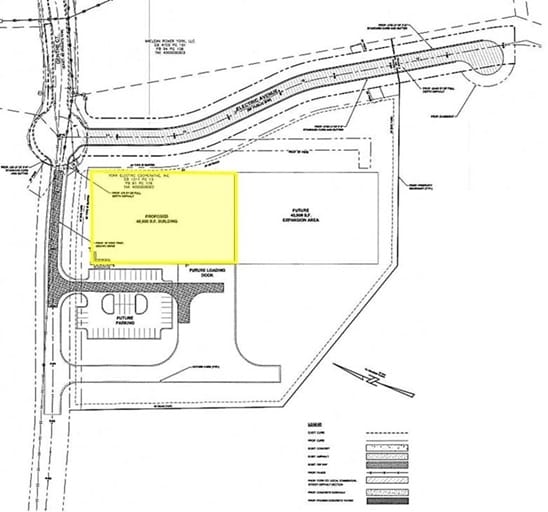
| Lot Size | 11.00 AC | Clear Ceiling Height | 30’ |
| Rentable Building Area | 40,000 SF | No. Dock-High Doors/Loading | 5 |
| No. Stories | 1 | No. Drive In / Grade-Level Doors | 1 |
| Zoning | ID | ||
| Property Type | Industrial |
| Property Subtype | Warehouse |
| Building Class | C |
| Lot Size | 11.00 AC |
| Rentable Building Area | 40,000 SF |
| No. Stories | 1 |
| Year Built | 2016 |
| Tenancy | Single |
| Parking Ratio | 0.75/1,000 SF |
| Clear Ceiling Height | 30’ |
| No. Dock-High Doors/Loading | 5 |
| No. Drive In / Grade-Level Doors | 1 |
| Zoning | ID |
UTILITIES
- Gas - Natural
- Water - City
- Sewer - City
ABOUT 1799 LANGRUM CT , YORK, SC 29745
40,000 shell building at the East York Industrial Park. 30 ft clear height. 5 dock-high knock-out panels and 1 drive-in.
PROPERTY TAXES
| Parcel Number | 4000000020 | Improvements Assessment | $166,513 |
| Land Assessment | $27,083 | Total Assessment | $193,596 |
PROPERTY TAXES
Parcel Number
4000000020
Land Assessment
$27,083
Improvements Assessment
$166,513
Total Assessment
$193,596
Listing ID: 11135937
Date on Market: 1/4/2018
Last Updated:
Address: 1799 Langrum Ct, York, SC 29745
The Industrial Property at 1799 Langrum Ct, York, SC 29745 is no longer being advertised on LoopNet.com. Contact the broker for information on availability.
INDUSTRIAL PROPERTIES IN NEARBY NEIGHBORHOODS
1 of 1
VIDEOS
MATTERPORT 3D EXTERIOR
MATTERPORT 3D TOUR
PHOTOS
STREET VIEW
STREET
MAP

Link copied
Your LoopNet account has been created!
Thank you for your feedback.
Please Share Your Feedback
We welcome any feedback on how we can improve LoopNet to better serve your needs.X
{{ getErrorText(feedbackForm.starRating, "rating") }}
255 character limit ({{ remainingChars() }} charactercharacters remainingover)
{{ getErrorText(feedbackForm.msg, "rating") }}
{{ getErrorText(feedbackForm.fname, "first name") }}
{{ getErrorText(feedbackForm.lname, "last name") }}
{{ getErrorText(feedbackForm.phone, "phone number") }}
{{ getErrorText(feedbackForm.phonex, "phone extension") }}
{{ getErrorText(feedbackForm.email, "email address") }}
You can provide feedback any time using the Help button at the top of the page.