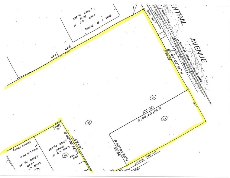
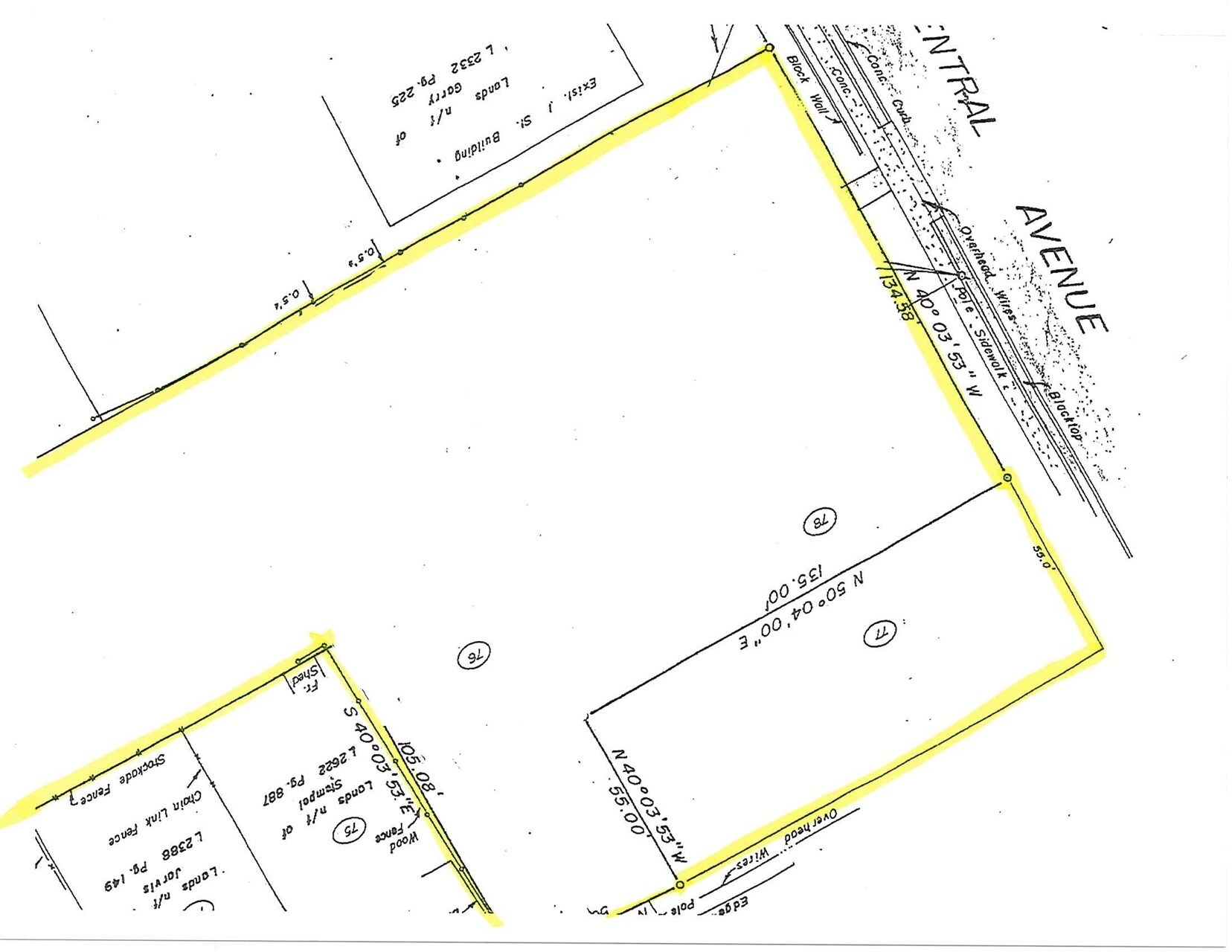
1729 Central Ave | Albany, NY 12205
This feature is unavailable at the moment.
We apologize, but the feature you are trying to access is currently unavailable. We are aware of this issue and our team is working hard to resolve the matter.
Please check back in a few minutes. We apologize for the inconvenience.
- LoopNet Team
This Land Property is no longer advertised on LoopNet.com.
1729 Central Ave
Albany, NY 12205
Land For Sale
·
1.71 AC

PROPERTY FACTS
| Property Type | Land | Total Lot Size | 1.71 AC |
| Property Subtype | Commercial | Tenancy | Single |
| Proposed Use |
Retail
|
Parking Ratio | 2.38/1,000 SF |
| Zoning | 45 | ||
| Property Type | Land |
| Property Subtype | Commercial |
| Proposed Use |
Retail
|
| Total Lot Size | 1.71 AC |
| Tenancy | Single |
| Parking Ratio | 2.38/1,000 SF |
| Zoning | 45 |
DESCRIPTION
Prime corner lot on busy Central Ave (Rte 5) directly across from ShopRite. In excess of 42,000 cars per day. Perfect location for a strip mall or mixed use. Ingress and egress available on Central or Birch Ave. Current building is a busy salon in great shape.
PROPERTY TAXES
| Parcel Number | 012601-029-019-0003-070-000-0000 | Improvements Assessment | $0 |
| Land Assessment | $143,100 | Total Assessment | $143,100 |
PROPERTY TAXES
Parcel Number
012601-029-019-0003-070-000-0000
Land Assessment
$143,100
Improvements Assessment
$0
Total Assessment
$143,100
Listing ID: 11114602
Date on Market: 1/2/2018
Last Updated:
Address: 1729 Central Ave, Albany, NY 12205
The Land Property at 1729 Central Ave, Albany, NY 12205 is no longer being advertised on LoopNet.com. Contact the broker for information on availability.
LAND PROPERTIES IN NEARBY NEIGHBORHOODS
1 of 1
VIDEOS
MATTERPORT 3D EXTERIOR
MATTERPORT 3D TOUR
PHOTOS
STREET VIEW
STREET
MAP

Link copied
Your LoopNet account has been created!
Thank you for your feedback.
Please Share Your Feedback
We welcome any feedback on how we can improve LoopNet to better serve your needs.X
{{ getErrorText(feedbackForm.starRating, "rating") }}
255 character limit ({{ remainingChars() }} charactercharacters remainingover)
{{ getErrorText(feedbackForm.msg, "rating") }}
{{ getErrorText(feedbackForm.fname, "first name") }}
{{ getErrorText(feedbackForm.lname, "last name") }}
{{ getErrorText(feedbackForm.phone, "phone number") }}
{{ getErrorText(feedbackForm.phonex, "phone extension") }}
{{ getErrorText(feedbackForm.email, "email address") }}
You can provide feedback any time using the Help button at the top of the page.