Your email has been sent.
Investment Highlights
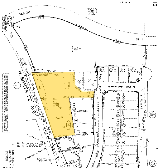
- Fully entitled 2.37-acre site with approved Tentative Map
- Final engineering through second plan check
- Strong resale comps averaging $570/SF
- Nine single-family lots with ADU potential
- Not in a fire severity zone; Vista Unified schools
- Density bonus potential up to 48 units post-close
Executive Summary
Property Facts
| Sale Type | Investment | Property Subtype | Residential |
| No. Lots | 1 | Proposed Use | Single Family Development |
| Property Type | Land | Total Lot Size | 2.37 AC |
| Zoning | R-1-B - Residential | ||
| Sale Type | Investment |
| No. Lots | 1 |
| Property Type | Land |
| Property Subtype | Residential |
| Proposed Use | Single Family Development |
| Total Lot Size | 2.37 AC |
| Zoning | R-1-B - Residential |
1 Lot Available
Lot
| Lot Size | 2.37 AC |
| Lot Size | 2.37 AC |
Vacant land with uninhabitable single family structure built in 1945
Description
Positioned in the heart of Vista, California, 1790 Knapp Drive presents a rare opportunity to acquire 2.37 acres of fully entitled residential land with an approved Tentative Map for nine single-family homes. The site is ideally suited for a boutique infill development, offering average lot sizes of 7,774 square feet and the potential for accessory dwelling units (ADUs) on most parcels. Final engineering is already through its second round of plan check, streamlining the path to construction. The property benefits from its location within the City of Vista’s Medium Density Residential zone (MD 10 du/acre), and while the current entitlement supports nine homes, a post-close density bonus could allow for up to 48 units. The site is not in a fire severity zone and is served by Vista Unified School District, Vista Irrigation District, and OV05 sewer service area. Development impact fees are estimated at approximately $49,965 per unit based on a 3,000 SF build. Surrounded by established neighborhoods and minutes from Rancho Guajome Regional Park and Vista Sports Park, the site offers a compelling blend of suburban tranquility and proximity to community amenities. Improvements required include widening N. Santa Fe Avenue, installing streetlights, and removing existing boulders per the grading plan. A private internal street and HOA are also part of the development plan. This offering is ideal for builders seeking a shovel-ready project with strong resale comps averaging $570/SF and recent sales ranging from $1.05M to $1.3M. Offers are due to Erin McKinley at Colliers, with escrow to be opened at Lawyers Title & Escrow in San Diego.
Property Taxes
| Parcel Numbers | Improvements Assessment | $63,582 | |
| Land Assessment | $334,651 | Total Assessment | $398,233 |
Property Taxes
Presented by
1790 Knapp Dr
Hmm, there seems to have been an error sending your message. Please try again.
Thanks! Your message was sent.



