375 N Main St | Williamstown, NJ 08094
This feature is unavailable at the moment.
We apologize, but the feature you are trying to access is currently unavailable. We are aware of this issue and our team is working hard to resolve the matter.
Please check back in a few minutes. We apologize for the inconvenience.
- LoopNet Team
This Office Property is no longer advertised on LoopNet.com.
375 N Main St
Williamstown, NJ 08094
Office Property For Sale

PROPERTY FACTS
Property Type
Office
Property Subtype
Medical
Building Size
16,000 SF
Building Class
C
Year Built
1988
Tenancy
Multiple
Building Height
1 Story
Typical Floor Size
16,000 SF
Slab To Slab
10’
Building FAR
0.21
Lot Size
1.79 AC
Zoning
R2
Parking
45 Spaces (8.83 Spaces per 1,000 SF Leased)
AMENITIES
- Bus Line
- Signage
ABOUT 375 N MAIN ST , WILLIAMSTOWN, NJ 08094
Easy access to this multi professional complex. Only two condo's available great price, great location, great space. Call for details
PROPERTY TAXES
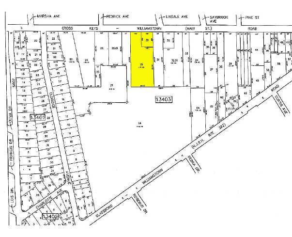
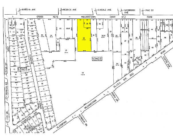
| Parcel Number | 11-13403-0000-00029 | Improvements Assessment | $639,000 |
| Land Assessment | $226,200 | Total Assessment | $865,200 |
PROPERTY TAXES
Parcel Number
11-13403-0000-00029
Land Assessment
$226,200
Improvements Assessment
$639,000
Total Assessment
$865,200
Listing ID: 13105502
Date on Market: 7/9/2018
Last Updated:
Address: 375 N Main St, Williamstown, NJ 08094
The Office Property at 375 N Main St, Williamstown, NJ 08094 is no longer being advertised on LoopNet.com. Contact the broker for information on availability.
OFFICE PROPERTIES IN NEARBY NEIGHBORHOODS
- South Philadelphia/Navy Yard Medical Offices
- Center City Medical Offices
- Southwest Philadelphia Medical Offices
- Cherry Hill/Haddonfield Medical Offices
- Vineland/Millville Medical Offices
- Northwestern Atlantic City Medical Offices
- Eastwick-Southwest Philadelphia Medical Offices
- Bella Vista-Southwark Medical Offices
- Queen Village-Pennsport Medical Offices
- Center City East Medical Offices
- Biedman Medical Offices
- Camden/Pennsauken Medical Offices
1 of 1
VIDEOS
MATTERPORT 3D EXTERIOR
MATTERPORT 3D TOUR
PHOTOS
STREET VIEW
STREET
MAP

Link copied
Your LoopNet account has been created!
Thank you for your feedback.
Please Share Your Feedback
We welcome any feedback on how we can improve LoopNet to better serve your needs.X
{{ getErrorText(feedbackForm.starRating, "rating") }}
255 character limit ({{ remainingChars() }} charactercharacters remainingover)
{{ getErrorText(feedbackForm.msg, "rating") }}
{{ getErrorText(feedbackForm.fname, "first name") }}
{{ getErrorText(feedbackForm.lname, "last name") }}
{{ getErrorText(feedbackForm.phone, "phone number") }}
{{ getErrorText(feedbackForm.phonex, "phone extension") }}
{{ getErrorText(feedbackForm.email, "email address") }}
You can provide feedback any time using the Help button at the top of the page.