Log In/Sign Up
Your email has been sent.
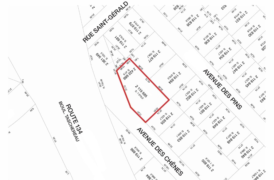
1945 Av Des Chênes 0.25 Acres of Residential Land Offered at $624,766 USD in Lemoyne, QC J4P 3L9



Some information has been automatically translated.
Investment Highlights
- The lot can be subdivided to obtain 8 units or 2 quadruplexes (2 floors, 4 units each)
- Possibility of a special project of 12-14 units
Executive Summary
Land of 10,904 sq. ft. zoned residential. The lot can be subdivided to obtain 8 units or 2 quadruplexes. Possibility of a special project of 12-14 units.
Property Facts
| Price | $624,766 USD | Property Subtype | Residential |
| Sale Type | Investment | Proposed Use | |
| No. Lots | 1 | Total Lot Size | 0.25 AC |
| Property Type | Land | ||
| Zoning | 116 - Residential | ||
| Price | $624,766 USD |
| Sale Type | Investment |
| No. Lots | 1 |
| Property Type | Land |
| Property Subtype | Residential |
| Proposed Use | |
| Total Lot Size | 0.25 AC |
| Zoning | 116 - Residential |
1 Lot Available
Lot 2 119 885
| Price | $624,766 USD | Lot Size | 0.25 AC |
| Price Per AC | $2,495,858.18 USD |
| Price | $624,766 USD |
| Price Per AC | $2,495,858.18 USD |
| Lot Size | 0.25 AC |
Land of 10,904 sq. ft. zoned residential. The lot can be subdivided to obtain 8 units or 2 quadruplexes. Possibility of a special project of 12-14 units.
Description
Land of 10,904 sq. ft. residential zone
Moderately walkable
60/100
Exceptionally drivable
90/100
Good public transit
70/100
Fairly bikeable
50/100
1 of 4
Videos
Matterport 3D Exterior
Matterport 3D Tour
Photos
Street View
Street
Map
Presented by
1945 Av Des Chênes
Already a member? Log In
Hmm, there seems to have been an error sending your message. Please try again.
Thanks! Your message was sent.

