Log In/Sign Up
Your email has been sent.
1949-1951 Arthur Ave 104,394 SF 100% Leased Industrial Building Elk Grove Village, IL 60007 For Sale



Executive Summary
USER/INVESTOR OPPORTUNITY
Total Building SF: 104,394
Available SF: 104,394 (Divisible to 35,579)
Office SF: 10,570
Ceiling Height: 18’-22’
Interior Docks: 5
Drive-in Doors: 1
Crane: 7.5-ton
Power: 1,600a; 277/480v; 3-p; 4-wire
Auto Parking: +/-110 Spots
Taxes (2024 paid 2025): $2.85/SF
Sale Price: Subject to Offer
Total Building SF: 104,394
Available SF: 104,394 (Divisible to 35,579)
Office SF: 10,570
Ceiling Height: 18’-22’
Interior Docks: 5
Drive-in Doors: 1
Crane: 7.5-ton
Power: 1,600a; 277/480v; 3-p; 4-wire
Auto Parking: +/-110 Spots
Taxes (2024 paid 2025): $2.85/SF
Sale Price: Subject to Offer
Property Facts
| Sale Type | Investment or Owner User | No. Stories | 1 |
| Property Type | Industrial | Year Built/Renovated | 1966/1977 |
| Property Subtype | Warehouse | Parking Ratio | 1.05/1,000 SF |
| Building Class | B | Clear Ceiling Height | 22’ |
| Lot Size | 3.67 AC | No. Dock-High Doors/Loading | 5 |
| Rentable Building Area | 104,394 SF | No. Drive In / Grade-Level Doors | 1 |
| Zoning | I-2, Elk Grove Vlg. | ||
| Sale Type | Investment or Owner User |
| Property Type | Industrial |
| Property Subtype | Warehouse |
| Building Class | B |
| Lot Size | 3.67 AC |
| Rentable Building Area | 104,394 SF |
| No. Stories | 1 |
| Year Built/Renovated | 1966/1977 |
| Parking Ratio | 1.05/1,000 SF |
| Clear Ceiling Height | 22’ |
| No. Dock-High Doors/Loading | 5 |
| No. Drive In / Grade-Level Doors | 1 |
| Zoning | I-2, Elk Grove Vlg. |
Amenities
- Signage
Utilities
- Gas - Natural
- Water - City
- Sewer - City
- Heating - Gas
1 1
Property Taxes
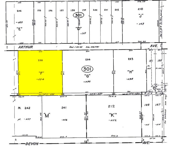
| Parcel Number | 08-35-301-034-0000 | Improvements Assessment | $1,114,000 |
| Land Assessment | $640,000 | Total Assessment | $1,754,000 |
Property Taxes
Parcel Number
08-35-301-034-0000
Land Assessment
$640,000
Improvements Assessment
$1,114,000
Total Assessment
$1,754,000
1 of 6
Videos
Matterport 3D Exterior
Matterport 3D Tour
Photos
Street View
Street
Map
1 of 1
Presented by
1949-1951 Arthur Ave
Already a member? Log In
Hmm, there seems to have been an error sending your message. Please try again.
Thanks! Your message was sent.
Your message has been sent!
Activate your LoopNet account now to track properties, get real-time alerts, save time on future inquiries, and more.
