Log In/Sign Up
Your email has been sent.
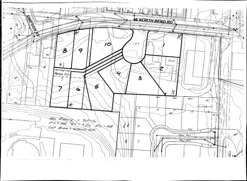
Property Facts Under Contract
| Price | $275,000 | Property Subtype | Residential |
| Sale Type | Investment | Proposed Use | Single Family Residence |
| No. Lots | 1 | Total Lot Size | 1.83 AC |
| Property Type | Land | Opportunity Zone |
Yes
|
| Zoning | Commercial - land | ||
| Price | $275,000 |
| Sale Type | Investment |
| No. Lots | 1 |
| Property Type | Land |
| Property Subtype | Residential |
| Proposed Use | Single Family Residence |
| Total Lot Size | 1.83 AC |
| Opportunity Zone |
Yes |
| Zoning | Commercial - land |
1 Lot Available
Lot
| Price | $275,000 | Lot Size | 1.83 AC |
| Price Per AC | $150,273.22 |
| Price | $275,000 |
| Price Per AC | $150,273.22 |
| Lot Size | 1.83 AC |
1 1
Fairly walkable
50/100
Exceptionally drivable
100/100
Limited public transit
30/100
Fairly bikeable
40/100
Property Taxes
| Parcel Numbers | Improvements Assessment | $0 | |
| Land Assessment | $55,164 | Total Assessment | $55,164 |
Property Taxes
Parcel Numbers
Land Assessment
$55,164
Improvements Assessment
$0
Total Assessment
$55,164
1 of 3
Videos
Matterport 3D Exterior
Matterport 3D Tour
Photos
Street View
Street
Map
1 of 1
Presented by
2021 W North Bend Rd
Already a member? Log In
Hmm, there seems to have been an error sending your message. Please try again.
Thanks! Your message was sent.


