Log In/Sign Up
Your email has been sent.
215 Cathill Rd Portfolio 2 Properties in Sellersville, PA



INVESTMENT HIGHLIGHTS
- Limited Industrial Availability: Neighboring submarkets average 2.1% vacancy rate
- Public Water & Sewer
- Excellent Labor Pool: 700,000+ people within a 30-minute drive
- Strategic Access to Major Highways
- By-Right Zoning: Warehouse, Manufacturing, Cold Storage, Flex Space
EXECUTIVE SUMMARY
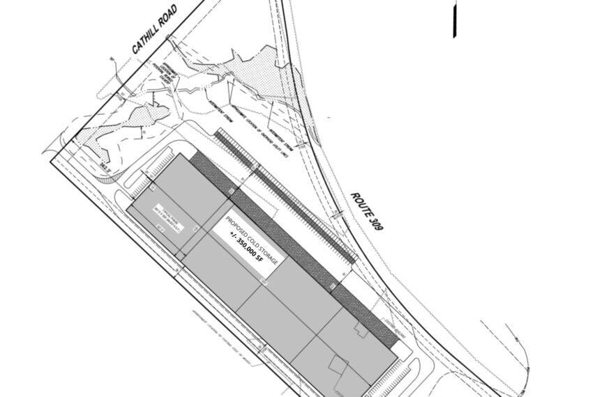
40 acres of Prime Industrial Land for Warehouse, Manufacturing, Cold Storage, Flex Space & more.
Exceptional investment opportunity in West Rockhill Twp, PA! 215 CATHILL ROAD offers approximately 40 acres of industrial zoned land, perfectly suited for distribution and automated warehouse facilities. The planned industrial zoning allows for a variety of uses, including warehouse, manufacturing, truck terminals, and fuel storage, making it a versatile property for investors. With a proposed concept for a state-of-the-art 350,000 SF industrial warehouse building, this property by National Land Developers, LLC presents a unique chance for a built-to-suit development.
Key Highlights:
By-Right Zoning: Warehouse, Manufacturing, Cold Storage, Flex Space
Limited Industrial Availability: Neighboring submarkets average 2.1% vacancy rate
Excellent Labor Pool: 700,000+ people within a 30-minute drive
Public Water & Sewer
Strategic Access to Major Highways
Still time to customize – Build-to-Suit options available!
Exceptional investment opportunity in West Rockhill Twp, PA! 215 CATHILL ROAD offers approximately 40 acres of industrial zoned land, perfectly suited for distribution and automated warehouse facilities. The planned industrial zoning allows for a variety of uses, including warehouse, manufacturing, truck terminals, and fuel storage, making it a versatile property for investors. With a proposed concept for a state-of-the-art 350,000 SF industrial warehouse building, this property by National Land Developers, LLC presents a unique chance for a built-to-suit development.
Key Highlights:
By-Right Zoning: Warehouse, Manufacturing, Cold Storage, Flex Space
Limited Industrial Availability: Neighboring submarkets average 2.1% vacancy rate
Excellent Labor Pool: 700,000+ people within a 30-minute drive
Public Water & Sewer
Strategic Access to Major Highways
Still time to customize – Build-to-Suit options available!
PROPERTY FACTS
| Sale Type | Investment or Owner User | Individually For Sale | 2 |
| Status | Active | Total Building Size | 350,000 SF |
| Number of Properties | 2 | Total Land Area | 68.62 AC |
| Sale Type | Investment or Owner User |
| Status | Active |
| Number of Properties | 2 |
| Individually For Sale | 2 |
| Total Building Size | 350,000 SF |
| Total Land Area | 68.62 AC |
PROPERTIES
| PROPERTY NAME / ADDRESS | PROPERTY TYPE | SIZE | YEAR BUILT | INDIVIDUAL PRICE |
|---|---|---|---|---|
| 215 Cathill Rd, Sellersville, PA 18960 | Industrial | 350,000 SF | 2026 | - |
|
Bucks County Industrial Land
215 Cathill rd, Sellersville, PA 18960 |
Land | 40.00 AC | - | - |
1 1
1 of 4
VIDEOS
MATTERPORT 3D EXTERIOR
MATTERPORT 3D TOUR
PHOTOS
STREET VIEW
STREET
MAP
1 of 1
Presented by
215 Cathill Rd Portfolio
Already a member? Log In
Hmm, there seems to have been an error sending your message. Please try again.
Thanks! Your message was sent.
