Log In/Sign Up
Your email has been sent.
22 Route De La Forêt 0.72 Acres of Commercial Land Offered at $469,600 in 44860 Saint-Aignan-Grandlieu



Some information has been automatically translated.
EXECUTIVE SUMMARY
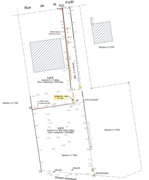
This building plot, with a total area of 2,900 m², is currently free of any builder, offering great flexibility for your construction projects. It is fully enclosed with fencing. A sewer connection is already installed from the road and along the access path, facilitating future necessary connections.
Access to the land is provided by a gravel path of 470 m², ensuring good accessibility for construction work. The specific building area measures 42 meters wide by 58 meters deep, offering a generous space for the construction of your future business.
The land is available immediately, and it is possible to consider a division to create 2 lots, depending on your needs and projects. The sale price is set at €450,000 net to the seller, with an additional €27,000 excluding tax for agency fees, as well as notary fees to be expected. For more details or to arrange a visit, you can contact Leila MELLIER directly at 06 64 33 28 10. You also have the option to reach our office at 02 55 07 86 35 for any additional information or to discuss the terms of the visit and purchase.
LOCAUX-BUREAUX-COMMERCES 02 55 07 86 35
Access to the land is provided by a gravel path of 470 m², ensuring good accessibility for construction work. The specific building area measures 42 meters wide by 58 meters deep, offering a generous space for the construction of your future business.
The land is available immediately, and it is possible to consider a division to create 2 lots, depending on your needs and projects. The sale price is set at €450,000 net to the seller, with an additional €27,000 excluding tax for agency fees, as well as notary fees to be expected. For more details or to arrange a visit, you can contact Leila MELLIER directly at 06 64 33 28 10. You also have the option to reach our office at 02 55 07 86 35 for any additional information or to discuss the terms of the visit and purchase.
LOCAUX-BUREAUX-COMMERCES 02 55 07 86 35
PROPERTY FACTS
| Price | $469,600 | Property Type | Land |
| Sale Type | Owner User | Property Subtype | Commercial |
| No. Lots | 1 | Total Lot Size | 0.72 AC |
| Price | $469,600 |
| Sale Type | Owner User |
| No. Lots | 1 |
| Property Type | Land |
| Property Subtype | Commercial |
| Total Lot Size | 0.72 AC |
1 LOT AVAILABLE
Lot
| Price | $469,600 | Lot Size | 0.72 AC |
| Price Per AC | $655,318.27 | Agency Fee | 6.00% of sale price |
| Price | $469,600 |
| Price Per AC | $655,318.27 |
| Lot Size | 0.72 AC |
| Agency Fee | 6.00% of sale price |
1 1
1 of 8
VIDEOS
MATTERPORT 3D EXTERIOR
MATTERPORT 3D TOUR
PHOTOS
STREET VIEW
STREET
MAP
1 of 1
Presented by
22 Route De La Forêt
Already a member? Log In
Hmm, there seems to have been an error sending your message. Please try again.
Thanks! Your message was sent.
