Your email has been sent.
220 Greystone Blvd 0.6 Acres of Commercial Land for Lease in Columbia, SC 29210



Highlights
- Traffic Counts of approx 13000 vehicles per day
- Automotive Dealership or Repair or Towing Use
- Fence-in Lot
LOT Available
Display Rental Rate as
| Rental Rate |
|
Lot Size | 0.60 AC |
| Lease Term | Negotiable |
| Rental Rate | |
| Lease Term | Negotiable |
| Lot Size | 0.60 AC |
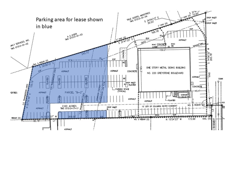
Approximately .6 acres available for parking, dealerships, fleets, trucking and other uses.
Property Overview
Commercial Parking Lot for Lease - 220 Greystone Blvd, Columbia, SC Prime Location This commercial parking lot is located in the heart of Columbia, SC, on Greystone Blvd, a high-traffic corridor with excellent visibility. The lot is also within walking distance of many auto dealerships. Ample Parking The parking lot can accommodate up to 75 vehicles, making it ideal for businesses of all sizes – especially automotive dealers and fleets. Also towing operations and storage lot. The lot is also fenced in for added security and peace of mind. Contact today to learn more about this commercial parking lot and schedule a tour. This vacancy will not last long.
Property Facts
Presented by
Main Gate Management, LLC
220 Greystone Blvd
Hmm, there seems to have been an error sending your message. Please try again.
Thanks! Your message was sent.
