Log In/Sign Up
Your email has been sent.
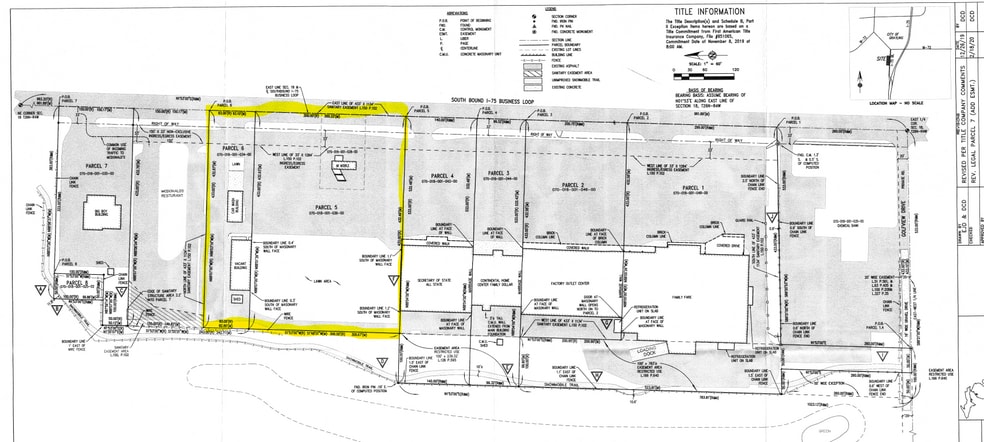
2252 I-75BL - Grayling Town Center Development Pad 3.5 Acres of Commercial Land in Grayling, MI 49738



Executive Summary
For Sale or Build to Suit
Contact Broker for Details
Contact Broker for Details
Property Facts
| Sale Type | Investment | Property Subtype | Commercial |
| No. Lots | 1 | Proposed Use | Commercial |
| Property Type | Land | Total Lot Size | 3.50 AC |
| Zoning | Commercial - Commercial Zoned District | ||
| Sale Type | Investment |
| No. Lots | 1 |
| Property Type | Land |
| Property Subtype | Commercial |
| Proposed Use | Commercial |
| Total Lot Size | 3.50 AC |
| Zoning | Commercial - Commercial Zoned District |
1 Lot Available
Lot
| Lot Size | 3.50 AC |
| Lot Size | 3.50 AC |
~3.5 Acres Parcel 070-018-001-036-00 & 070-018-034-00 Zoned C3B - General Commercial - South Town Lot is adjacent to the Grayling Town Center tenants include Family Fare, Advance Auto Parts, Goodwill of Northern of MI and the State of Michigan
Description
For Sale or Build to Suit
1 1
Fairly walkable
40/100
Exceptionally drivable
100/100
Somewhat bikeable
20/100
1 of 6
Videos
Matterport 3D Exterior
Matterport 3D Tour
Photos
Street View
Street
Map
1 of 1
Presented by
2252 I-75BL - Grayling Town Center Development Pad
Already a member? Log In
Hmm, there seems to have been an error sending your message. Please try again.
Thanks! Your message was sent.
