Log In/Sign Up
Your email has been sent.
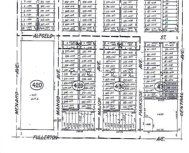
2430 N Central Ave 3,275 SF Retail Building Chicago, IL 60639 $495,000 ($151.15/SF)



INVESTMENT HIGHLIGHTS
- Located near Fullerton and Central intersection
- Zoned B3-1, allowing retail, medical, service, and mixed-use commercial development
- Ideal for owner-users, investors, or developers seeking infill opportunities in Chicago
- Includes 16 dedicated parking spaces
- Strong visibility and accessibility from city streets with 100 feet of street frontage
EXECUTIVE SUMMARY
Grand opportunity for retail, medical and developers. 4 lots zoned B3-1 with approx. 12,500 sq ft. with a 3,275-sf single-story building and 16 parking spaces. Near the major intersection of Fullerton and Central. High pedestrian and vehicle traffic daily. Serious request only. Survey is available for download. Please review the broker remarks to see how this can also be purchased as a package with 2419-25 N. Central for a total of 7 lots with approx 21,950 sq ft.
PROPERTY FACTS
Sale Type
Investment or Owner User
Property Type
Retail
Property Subtype
Restaurant
Building Size
3,275 SF
Building Class
C
Year Built
1972
Price
$495,000
Price Per SF
$151.15
Tenancy
Single
Building Height
1 Story
Building FAR
0.26
Lot Size
0.29 AC
Zoning
B3-2, Chicago - Commercial
Parking
20 Spaces (6.11 Spaces per 1,000 SF Leased)
Frontage
100’ on Central
AMENITIES
- Fenced Lot
- Restaurant
Walk Score®
Very Walkable (87)
NEARBY MAJOR RETAILERS
PROPERTY TAXES
| Parcel Numbers | Improvements Assessment | $24,518 | |
| Land Assessment | $77,500 | Total Assessment | $102,018 |
PROPERTY TAXES
Parcel Numbers
Land Assessment
$77,500
Improvements Assessment
$24,518
Total Assessment
$102,018
1 of 15
VIDEOS
MATTERPORT 3D EXTERIOR
MATTERPORT 3D TOUR
PHOTOS
STREET VIEW
STREET
MAP
Presented by
Company Not Provided
2430 N Central Ave
Already a member? Log In
Hmm, there seems to have been an error sending your message. Please try again.
Thanks! Your message was sent.
