Log In/Sign Up
Your email has been sent.
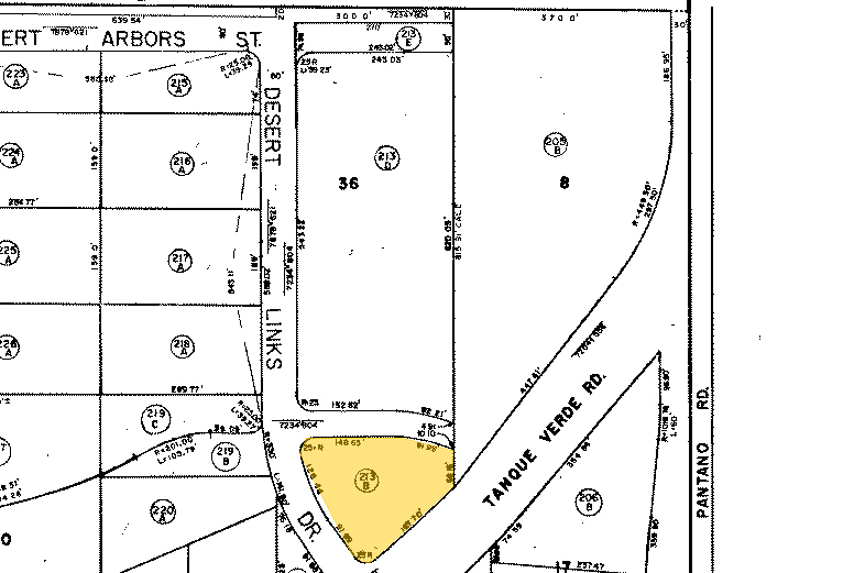
2478 N Desert Links Dr - C-1 Zoned Acreage 0.97 Acres of Commercial Land Offered at $475,000 in Tucson, AZ 85715



Investment Highlights
- Traffic. Tanque?Verde carries ±30,000 vehicles per day at this stretch
- Flexible C 1 zoning. City of Tucson C 1 allows multiple different retail and office uses
- Affluent, established corridor. Tanque?Verde Valley boasts strong household incomes and a daytime population driven by nearby national grocers, fitnes
- A built in customer base. Two upscale rental communities—Avilla?Tanque?Verde’s detached casitas and Estancia’s resort style apartments—wrap the site o
- Infill efficiency. Level topography, nearby utilities and no demolition hurdles mean you can go from dirt to grand opening with a few less steps
Taxes & Operating Expenses (Actual - 2025) Click Here to Access |
Annual | Annual Per AC |
|---|---|---|
| Taxes |
-
|
-
|
| Operating Expenses |
-
|
-
|
| Total Expenses |
$99,999
|
$9.99
|
Taxes & Operating Expenses (Actual - 2025) Click Here to Access
| Taxes | |
|---|---|
| Annual | - |
| Annual Per AC | - |
| Operating Expenses | |
|---|---|
| Annual | - |
| Annual Per AC | - |
| Total Expenses | |
|---|---|
| Annual | $99,999 |
| Annual Per AC | $9.99 |
Property Facts
1 Lot Available
Lot
| Price | $475,000 | Lot Size | 0.97 AC |
| Price Per AC | $489,690.72 |
| Price | $475,000 |
| Price Per AC | $489,690.72 |
| Lot Size | 0.97 AC |
This 42,253 SF pad sits in the spotlight of East Tanque?Verde?Road—one of Tucson’s most travelled arterials—at the hard corner of Tanque?Verde?& Desert?Links. This is an infill jewel—front row exposure and a captive, high income audience already in p
Description
This 42,253 SF pad sits in the spotlight of East Tanque?Verde?Road—one of Tucson’s most travelled arterials—at the hard corner of Tanque?Verde?& Desert?Links. This is an infill jewel—front row exposure and a captive, high income audience already in place. Stake your flag here and let Tanque?Verde’s traffic and rooftops work for you.
Bike Score®
Very Bikeable (73)
Property Taxes
| Parcel Number | 114-46-213B | Improvements Assessment | $0 |
| Land Assessment | $0 | Total Assessment | $18,301 |
Property Taxes
Parcel Number
114-46-213B
Land Assessment
$0
Improvements Assessment
$0
Total Assessment
$18,301
1 of 8
Videos
Matterport 3D Exterior
Matterport 3D Tour
Photos
Street View
Street
Map
Presented by
2478 N Desert Links Dr - C-1 Zoned Acreage
Already a member? Log In
Hmm, there seems to have been an error sending your message. Please try again.
Thanks! Your message was sent.
Your message has been sent!
Activate your LoopNet account now to track properties, get real-time alerts, save time on future inquiries, and more.

