Log In/Sign Up
Your email has been sent.
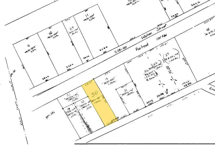
2550 Main St
Elgin, SC 29045
1.0 Acre - Commercial Lot · Land For Sale
·
1.00 AC


PROPERTY FACTS
1 LOT AVAILABLE
Lot
| Price | $350,000 | Lot Size | 1.00 AC |
| Price Per AC | $350,000.00 |
| Price | $350,000 |
| Price Per AC | $350,000.00 |
| Lot Size | 1.00 AC |
Great property on Main Street in Elgin. Great business opportunity. Zoned GC-2. 109' of Road frontage on US HWY #1
PROPERTY TAXES
| Parcel Number | E335-17-00-030 | Improvements Assessment | $0 |
| Land Assessment | $150,000 | Total Assessment | $150,000 |
PROPERTY TAXES
Parcel Number
E335-17-00-030
Land Assessment
$150,000
Improvements Assessment
$0
Total Assessment
$150,000
1 of 21
VIDEOS
MATTERPORT 3D EXTERIOR
MATTERPORT 3D TOUR
PHOTOS
STREET VIEW
STREET
MAP
