Log In/Sign Up
Your email has been sent.
PROPERTY FACTS
Sale Type
Investment
Property Type
Office
Building Size
33,118 SF
Building Class
B
Year Built/Renovated
1985/2014
Tenancy
Single
Building Height
2 Stories
Typical Floor Size
16,559 SF
Slab To Slab
12’
Building FAR
0.25
Lot Size
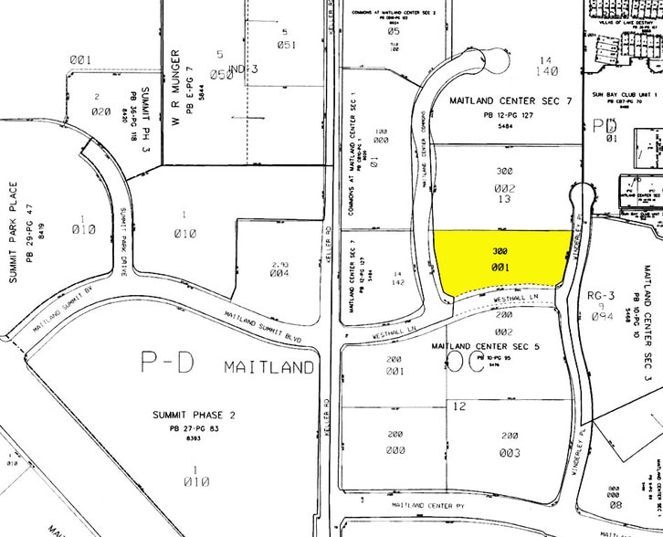
3.00 AC
Zoning
OC, Maitland
Parking
137 Spaces (4.14 Spaces per 1,000 SF Leased)
AMENITIES
- Signage
PROPERTY TAXES
| Parcel Number | 27-2129-5476-13-001 | Improvements Assessment | $2,058,300 |
| Land Assessment | $2,058,352 | Total Assessment | $4,116,652 |
PROPERTY TAXES
Parcel Number
27-2129-5476-13-001
Land Assessment
$2,058,352
Improvements Assessment
$2,058,300
Total Assessment
$4,116,652
1 of 7
VIDEOS
MATTERPORT 3D EXTERIOR
MATTERPORT 3D TOUR
PHOTOS
STREET VIEW
STREET
MAP
Presented by
exp US Services, Inc. | 2601 Westhall Ln
Already a member? Log In
Hmm, there seems to have been an error sending your message. Please try again.
Thanks! Your message was sent.




