Log In/Sign Up
Your email has been sent.
Investment Highlights
- 1.5± acres of ready-to-develop land.
- Pre-engineered site – development-ready with utilities to site.
- High-growth retail area – surrounded by new and upcoming development
- Zoned General Retail – suitable for a wide range of commercial uses.
- Pre-Engineered site
- Access from I-20 and major thoroughfares.
Executive Summary
Prime 1.5± Acre Retail Site | Zoned General Retail | NE Abilene Development Opportunity
2634 E Lake Rd, Abilene, TX 79601
Price Reduced - Now Offered at $9/SF. Seller will consider ground lease. Lease rate is subject to offer.
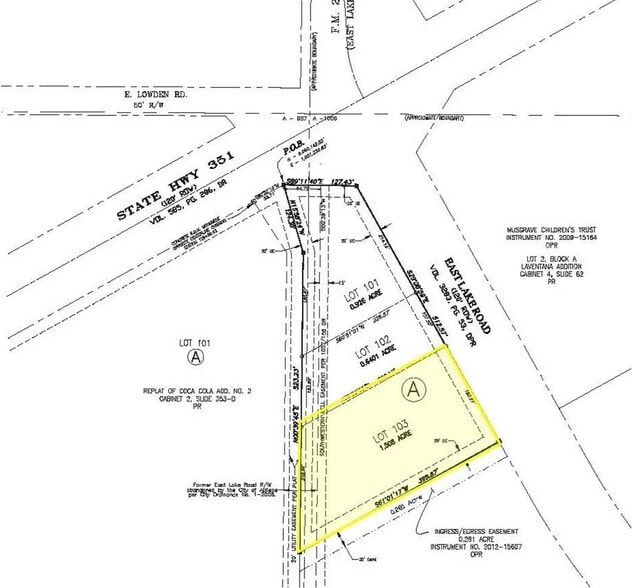
Positioned in the heart of Northeast Abilene’s rapidly expanding retail corridor, this 1.5± acre tract offers an outstanding opportunity for retail, QSR, or commercial development. The site is zoned General Retail, with utilities available and pre-engineered for efficient development.
Located directly off I-20 at the intersection of HWY 351 and East Lake Road, the property is flanked by established businesses including Smashin’ Grill and Betty Rose’s, ensuring strong traffic counts and built-in visibility.
2634 E Lake Rd, Abilene, TX 79601
Price Reduced - Now Offered at $9/SF. Seller will consider ground lease. Lease rate is subject to offer.
Positioned in the heart of Northeast Abilene’s rapidly expanding retail corridor, this 1.5± acre tract offers an outstanding opportunity for retail, QSR, or commercial development. The site is zoned General Retail, with utilities available and pre-engineered for efficient development.
Located directly off I-20 at the intersection of HWY 351 and East Lake Road, the property is flanked by established businesses including Smashin’ Grill and Betty Rose’s, ensuring strong traffic counts and built-in visibility.
Property Facts
| Price | $588,060 | Property Subtype | Commercial |
| Sale Type | Investment | Proposed Use | |
| No. Lots | 1 | Total Lot Size | 1.50 AC |
| Property Type | Land | ||
| Zoning | GR - General Retail | ||
| Price | $588,060 |
| Sale Type | Investment |
| No. Lots | 1 |
| Property Type | Land |
| Property Subtype | Commercial |
| Proposed Use | |
| Total Lot Size | 1.50 AC |
| Zoning | GR - General Retail |
1 Lot Available
Lot
| Price | $588,060 | Lot Size | 1.50 AC |
| Price Per AC | $392,040.00 |
| Price | $588,060 |
| Price Per AC | $392,040.00 |
| Lot Size | 1.50 AC |
Pre-engineered site located in North East Abilene off I-20 at the intersection of HWY 351 and East Lake Road. 1.55 Acre tract with build to suit option between to Heff's Burgers and Betty Roses BBQ.
Description
Located in North East Abilene off I-20 at the intersection of HWY 351 and East Lake Road, between Smashin' Grill and Betty Roses BBQ. Pre-engineered site located in North East Abilene off I-20 at the intersection of HWY 351 and East Lake Road. 1.5 +/-acre tract.
Somewhat walkable
30/100
Exceptionally drivable
100/100
Somewhat bikeable
20/100
Property Taxes
| Parcel Number | 1085046 | Improvements Assessment | $720,384 |
| Land Assessment | $279,616 | Total Assessment | $1,000,000 |
Property Taxes
Parcel Number
1085046
Land Assessment
$279,616
Improvements Assessment
$720,384
Total Assessment
$1,000,000
1 of 4
Videos
Matterport 3D Exterior
Matterport 3D Tour
Photos
Street View
Street
Map
Presented by
2634 E Lake Rd
Already a member? Log In
Hmm, there seems to have been an error sending your message. Please try again.
Thanks! Your message was sent.




