Log In/Sign Up
Your email has been sent.
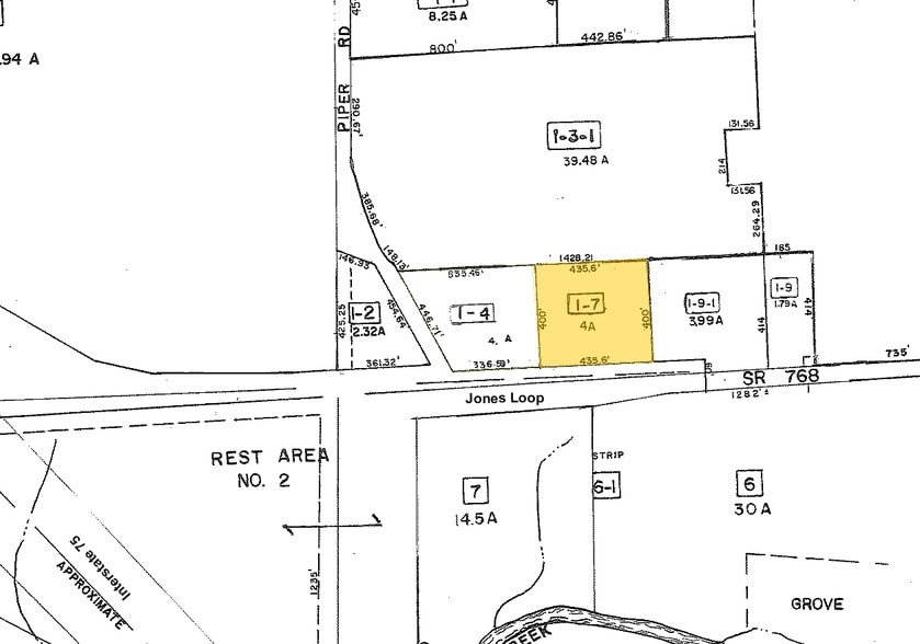
26950 Jones Loop Rd - Parcel D 4 Acre of Industrial Land Offered at $4,000,000 - $4,000,000 Per Lot in Punta Gorda, FL 33982



Executive Summary
8 Acres total East of 7/11 Store on the NE Corner of Piper Rd and Jones Loop Rd ECAP zoning. Outside storage OK
Property Facts
| Price | $4,000,000 - $8,000,000 | Property Subtype | Industrial |
| Sale Type | Investment | Proposed Use | |
| No. Lots | 2 | Total Lot Size | 8.00 AC |
| Property Type | Land | ||
| Zoning | ECAP - Almost Anything | ||
| Price | $4,000,000 - $8,000,000 |
| Sale Type | Investment |
| No. Lots | 2 |
| Property Type | Land |
| Property Subtype | Industrial |
| Proposed Use | |
| Total Lot Size | 8.00 AC |
| Zoning | ECAP - Almost Anything |
2 Lots Available
Lot D
| Price | $4,000,000 | Lot Size | 4.00 AC |
| Price Per AC | $1,000,000.00 |
| Price | $4,000,000 |
| Price Per AC | $1,000,000.00 |
| Lot Size | 4.00 AC |
Restaurant and Hotel Development Site.
Lot E
| Price | $4,000,000 | Lot Size | 4.00 AC |
| Price Per AC | $1,000,000.00 |
| Price | $4,000,000 |
| Price Per AC | $1,000,000.00 |
| Lot Size | 4.00 AC |
Hotel Development Site
Somewhat walkable
20/100
Exceptionally drivable
100/100
Somewhat bikeable
30/100
Property Taxes
| Parcel Number | 412322200007 | Improvements Assessment | $0 |
| Land Assessment | $0 | Total Assessment | $1,256 |
Property Taxes
Parcel Number
412322200007
Land Assessment
$0
Improvements Assessment
$0
Total Assessment
$1,256
1 of 5
Videos
Matterport 3D Exterior
Matterport 3D Tour
Photos
Street View
Street
Map
Presented by
26950 Jones Loop Rd - Parcel D
Already a member? Log In
Hmm, there seems to have been an error sending your message. Please try again.
Thanks! Your message was sent.

