This feature is unavailable at the moment.

We apologize, but the feature you are trying to access is currently unavailable. We are aware of this issue and our team is working hard to resolve the matter.

Please check back in a few minutes. We apologize for the inconvenience.

- LoopNet Team

You must register your contact information to view secure information on this listing.
This Health Care Property is no longer advertised on LoopNet.com.

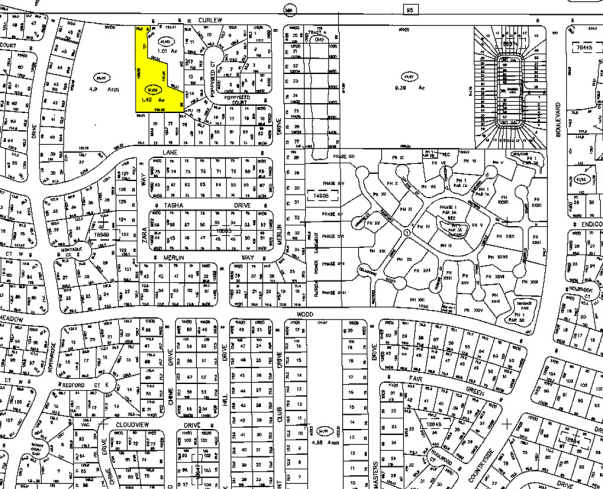
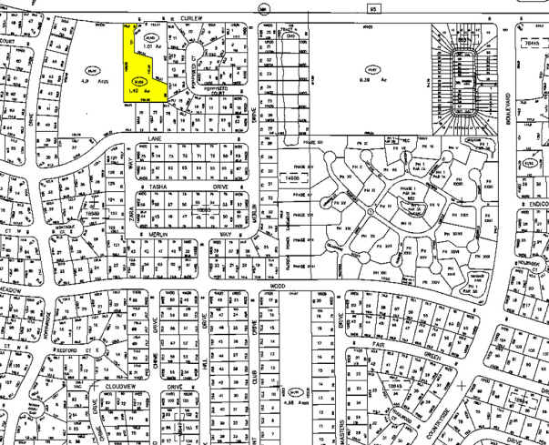
2730 Curlew Rd
Palm Harbor, FL 34684
Curlew Home · Health Care Property For Sale · 26 Beds

INVESTMENT HIGHLIGHTS

  • Deficiency free
  • Many infrastructure upgrades in kitchen
  • Salon on site

PROPERTY FACTS

Property Type Health Care
Property Subtype Skilled Nursing Facility
Building Class B
Lot Size 1.66 AC
Construction Status Under Renovation
Building Size 10,481 SF
No. Beds 26
No. Stories 2
Year Built/Renovated 1981/2025
Parking Ratio 0.19/1,000 SF
Zoning R-100, Dunedin

PROPERTY TAXES

PROPERTY TAXES

Parcel Number
17-28-16-00000-310-0300
Land Assessment
$380,226
Improvements Assessment
$519,774
Total Assessment
$900,000
  • Listing ID: 25881312

  • Date on Market: 6/8/2022

  • Last Updated:

  • Address: 2730 Curlew Rd, Palm Harbor, FL 34684

Link copied
Your LoopNet account has been created!

Please Share Your Feedback

We welcome any feedback on how we can improve LoopNet to better serve your needs.
X
{{ getErrorText(feedbackForm.starRating, "rating") }}
255 character limit ({{ remainingChars() }} charactercharacters remainingover)
{{ getErrorText(feedbackForm.msg, "rating") }}
{{ getErrorText(feedbackForm.fname, "first name") }}
{{ getErrorText(feedbackForm.lname, "last name") }}
{{ getErrorText(feedbackForm.phone, "phone number") }}
{{ getErrorText(feedbackForm.phonex, "phone extension") }}
{{ getErrorText(feedbackForm.email, "email address") }}