Log In/Sign Up
Enter your email to login or create a free account
This feature is unavailable at the moment.
We apologize, but the feature you are trying to access is currently unavailable. We are aware of this issue and our team is working hard to resolve the matter.
Please check back in a few minutes. We apologize for the inconvenience.
- LoopNet Team
This Property is no longer advertised on LoopNet.com.
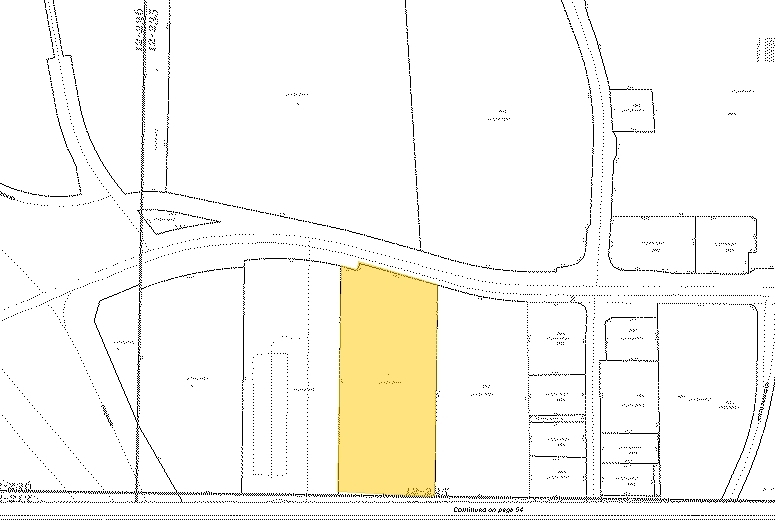
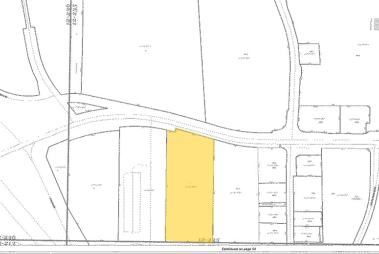
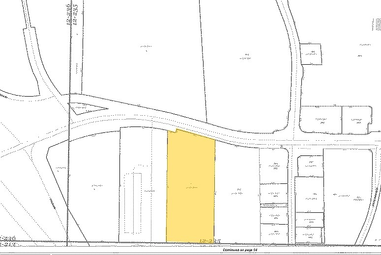
2823 Anvil Block Rd
Ellenwood, GA 30294
Property For Lease

Highlights
- Freezer Space ± 73,375 SF (-10o F Temp)
- Cold Dock ± 48,000 SF (35o - 40o F Temp)
- Cooler Space ± 73,375 SF (34o F Temp)
Property Overview
2823 Anvil Block Rd is a 269,890 SF Industrial Building, that contains Freeze and Cooler Space. That was built in 2022 and contains 58 Dock Doors, 2 Drive In Doors, along with ESFR sprinkler systems. Freezer and Cooler space installation will deliver Q2 2023
Property Facts
| Property Type | Industrial | Rentable Building Area | 268,890 SF |
| Property Subtype | Refrigeration/Cold Storage | Year Built | 2022 |
| Property Type | Industrial |
| Property Subtype | Refrigeration/Cold Storage |
| Rentable Building Area | 268,890 SF |
| Year Built | 2022 |
Features and Amenities
- Cooler
- Freezer (Space)
Attachments
| 2823 Anvil Block Road Brochure Mar 2023 |
Listing ID: 27596654
Date on Market: 1/26/2023
Last Updated:
Address: 2823 Anvil Block Rd, Ellenwood, GA 30294
The Industrial Property at 2823 Anvil Block Rd, Ellenwood, GA 30294 is no longer being advertised on LoopNet.com. Contact the broker for information on availability.
INDUSTRIAL PROPERTIES IN NEARBY NEIGHBORHOODS
- Southeast DeKalb Commercial Real Estate Properties
- South Atlanta Commercial Real Estate Properties
- Eastside Atlanta Commercial Real Estate Properties
- Aerotropolis Commercial Real Estate Properties
- Downtown Decatur Commercial Real Estate Properties
- Southeast Atlanta Commercial Real Estate Properties
- Old Fourth Ward Commercial Real Estate Properties
- South Downtown Atlanta Commercial Real Estate Properties
- Reynoldstown Commercial Real Estate Properties
- Inman Park Commercial Real Estate Properties
- South River Gardens Commercial Real Estate Properties
- Grant Park Commercial Real Estate Properties
- Belvedere Park Commercial Real Estate Properties
- Avondale Park Commercial Real Estate Properties
- Pittsburgh Commercial Real Estate Properties
NEARBY LISTINGS
- 1791 Mount Zion Rd, Morrow GA
- 4401 Bowman Industrial Ct, Conley GA
- 6631 Highway 42, Rex GA
- 1677 Forest Pky, Lake City GA
- 2170 Rex Rd, Morrow GA
- 3075 N Lanier Pky, Decatur GA
- 101-129 Fairview Rd, Ellenwood GA
- 1250 Henrico Road, Conley GA
- 1000 S River Industrial Blvd S, Atlanta GA
- 1890 Rock Cut Rd, Conley GA
- 4252 Transport City Dr, Conley GA
- 282 Fairview Rd, Ellenwood GA
- 4285 Moreland Ave, Conley GA
- 4769 Jonesboro Rd, Forest Park GA
- 2460 Moreland Ave, Atlanta GA
1 of 1
Videos
Matterport 3D Exterior
Matterport 3D Tour
Photos
Street View
Street
Map

Link copied
Your LoopNet account has been created!
Thank you for your feedback.
Please Share Your Feedback
We welcome any feedback on how we can improve LoopNet to better serve your needs.X
{{ getErrorText(feedbackForm.starRating, "rating") }}
255 character limit ({{ remainingChars() }} charactercharacters remainingover)
{{ getErrorText(feedbackForm.msg, "rating") }}
{{ getErrorText(feedbackForm.fname, "first name") }}
{{ getErrorText(feedbackForm.lname, "last name") }}
{{ getErrorText(feedbackForm.phone, "phone number") }}
{{ getErrorText(feedbackForm.phonex, "phone extension") }}
{{ getErrorText(feedbackForm.email, "email address") }}
You can provide feedback any time using the Help button at the top of the page.