Log In/Sign Up
Your email has been sent.
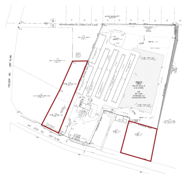
2846 Mt. Zion Rd 0.94 - 1.11 Acre Commercial Land Lots Offered at $80,000 - $135,000 Per Lot in Jonesboro, GA 30236



Investment Highlights
- Two ±1 acre outparcels available.
- All utilities to sites.
- Great potential for small office use.
- Located in front of self-storage facility.
- Zoned GB (General Business) and NB (Neighborhood Business).
Property Facts
| Price | $80,000 - $215,000 | Property Subtype | Commercial |
| Sale Type | Investment | Proposed Use | |
| No. Lots | 2 | Total Lot Size | 2.05 AC |
| Property Type | Land | ||
| Zoning | GB - General Business | ||
| Price | $80,000 - $215,000 |
| Sale Type | Investment |
| No. Lots | 2 |
| Property Type | Land |
| Property Subtype | Commercial |
| Proposed Use | |
| Total Lot Size | 2.05 AC |
| Zoning | GB - General Business |
2 Lots Available
Lot 1
| Price | $80,000 | Lot Size | 1.11 AC |
| Price Per AC | $72,072.07 |
| Price | $80,000 |
| Price Per AC | $72,072.07 |
| Lot Size | 1.11 AC |
Lot 3
| Price | $135,000 | Lot Size | 0.94 AC |
| Price Per AC | $143,617.02 |
| Price | $135,000 |
| Price Per AC | $143,617.02 |
| Lot Size | 0.94 AC |
Fairly walkable
40/100
Exceptionally drivable
100/100
Limited public transit
30/100
Somewhat bikeable
30/100
1 of 5
Videos
Matterport 3D Exterior
Matterport 3D Tour
Photos
Street View
Street
Map
Presented by
2846 Mt. Zion Rd
Already a member? Log In
Hmm, there seems to have been an error sending your message. Please try again.
Thanks! Your message was sent.

