Log In/Sign Up
Your email has been sent.
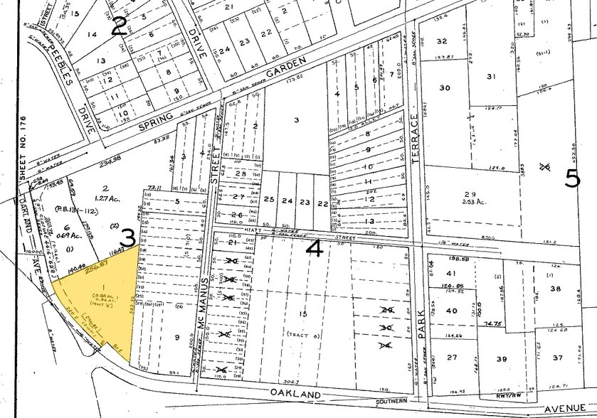
2902-2904 Oakland Ave
Greensboro, NC 27403
2902-2904 Oakland Avenue · Land For Sale
·
0.94 AC


INVESTMENT HIGHLIGHTS
- • Airport: PTI - 8 miles
PROPERTY FACTS
| Sale Type | Investment | Proposed Use | |
| No. Lots | 1 | Total Lot Size | 0.94 AC |
| Property Type | Land | Cross Streets | S Holden Rd |
| Property Subtype | Commercial | ||
| Zoning | LI - Light Industrial | ||
| Sale Type | Investment |
| No. Lots | 1 |
| Property Type | Land |
| Property Subtype | Commercial |
| Proposed Use | |
| Total Lot Size | 0.94 AC |
| Cross Streets | S Holden Rd |
| Zoning | LI - Light Industrial |
1 LOT AVAILABLE
Lot
| Price | $150,000 | Lot Size | 0.94 AC |
| Price Per AC | $159,948.82 |
| Price | $150,000 |
| Price Per AC | $159,948.82 |
| Lot Size | 0.94 AC |
• All utilities available
PROPERTY TAXES
| Parcel Number | 0017959 | Improvements Assessment | $0 |
| Land Assessment | $122,600 | Total Assessment | $122,600 |
PROPERTY TAXES
Parcel Number
0017959
Land Assessment
$122,600
Improvements Assessment
$0
Total Assessment
$122,600
1 of 7
VIDEOS
MATTERPORT 3D EXTERIOR
MATTERPORT 3D TOUR
PHOTOS
STREET VIEW
STREET
MAP
