Log In/Sign Up
Your email has been sent.
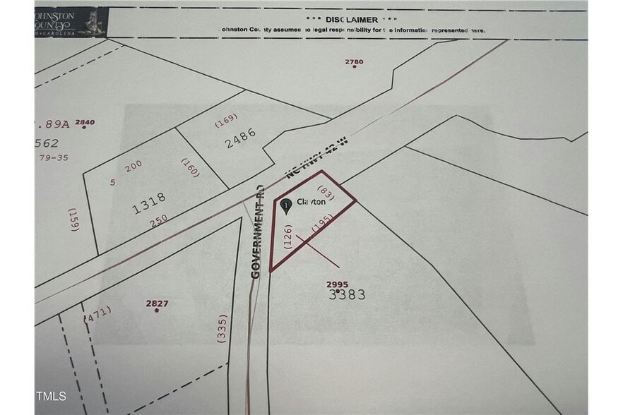
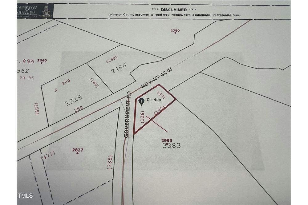
2995 Government Rd
Clayton, NC 27520
Land For Sale
·
3.70 AC

Investment Highlights
- Corner lot with frontage on Government Rd and Veterans Parkway.
- Frontage on Government Rd.
- High visibility.
Executive Summary
GREAT CORNER LOT, ON NC 42 AND GOVERNMENT ROAD.
Property Facts
1 Lot Available
Lot
| Price | $3,500,000 | Lot Size | 3.70 AC |
| Price Per AC | $945,945.95 |
| Price | $3,500,000 |
| Price Per AC | $945,945.95 |
| Lot Size | 3.70 AC |
Lot for sale
Description
POSSIBLE REZONING TO COMMERCIAL. 3.7 AC LOT WITH ADDITIONAL ACCERAGE CAN BE PURCHASED.
Property Taxes
| Parcel Number | 05F02019 | Improvements Assessment | $0 |
| Land Assessment | $32,640 | Total Assessment | $32,640 |
Property Taxes
Parcel Number
05F02019
Land Assessment
$32,640
Improvements Assessment
$0
Total Assessment
$32,640
1 of 2
Videos
Matterport 3D Exterior
Matterport 3D Tour
Photos
Street View
Street
Map
