Log In/Sign Up
Your email has been sent.
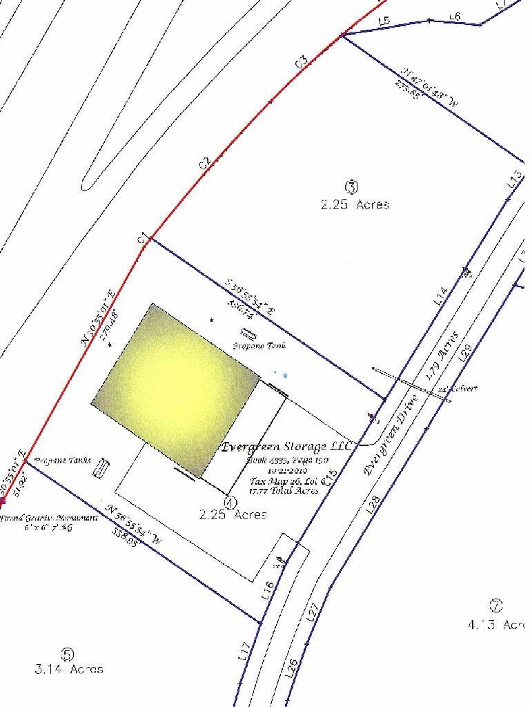
3 Evergreen Dr
Fairfield, ME 04937
Land For Sale
·
2.25 AC

Investment Highlights
- This land is located near Rt 95
Executive Summary
Great lot with excellent visibility! Located on to the Fairfield off ramp of Northbound I-95.
Property Facts
| Sale Type | Investment | Property Subtype | Commercial |
| No. Lots | 1 | Total Lot Size | 2.25 AC |
| Property Type | Land | ||
| Zoning | Commerical | ||
| Sale Type | Investment |
| No. Lots | 1 |
| Property Type | Land |
| Property Subtype | Commercial |
| Total Lot Size | 2.25 AC |
| Zoning | Commerical |
1 Lot Available
Lot
| Price | $249,000 | Lot Size | 2.25 AC |
| Price Per AC | $110,666.67 |
| Price | $249,000 |
| Price Per AC | $110,666.67 |
| Lot Size | 2.25 AC |
Description
Raw Land
Property Taxes
| Parcel Number | FAID-000026-000000-000006 | Improvements Assessment | $342,200 |
| Land Assessment | $87,100 | Total Assessment | $429,300 |
Property Taxes
Parcel Number
FAID-000026-000000-000006
Land Assessment
$87,100
Improvements Assessment
$342,200
Total Assessment
$429,300
1 of 2
Videos
Matterport 3D Exterior
Matterport 3D Tour
Photos
Street View
Street
Map
