Log In/Sign Up
Your email has been sent.
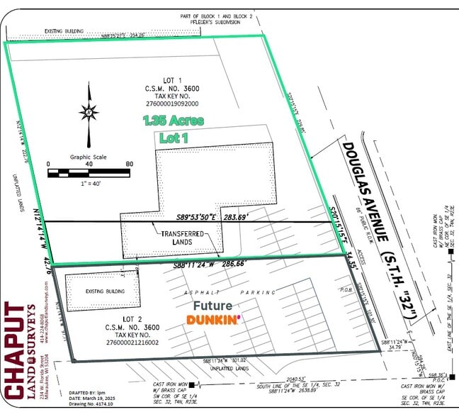
3108 Douglas Ave
Racine, WI 53402
Redevelopment Opportunity · Retail Property For Sale


Investment Highlights
- Great Redevelopment Opportunity!
- 229' of frontage on Douglas Ave
Executive Summary
Great former automotive repair facility for sale with possibility of redevelopment site. Space has multiple drive-in doors and great utilities. The property is situated in between Aldi and a future Dunkin'. Adjacent parcel sold for future Dunkin!
+Address: 3108 Douglas Ave, Racine, WI 53402 (Lot 1 of CSM)
+Price: $885,000
+Building Size: 11,316 sq. ft.
+Lot Size: 1.35 acre
+Dimensions: 229.85’ x 254’
+Access: (2) curbs cuts currently
+Zoning: B-2 Community Shopping District
+Address: 3108 Douglas Ave, Racine, WI 53402 (Lot 1 of CSM)
+Price: $885,000
+Building Size: 11,316 sq. ft.
+Lot Size: 1.35 acre
+Dimensions: 229.85’ x 254’
+Access: (2) curbs cuts currently
+Zoning: B-2 Community Shopping District
Property Facts
Sale Type
Investment or Owner User
Sale Condition
Redevelopment Project
Property Type
Retail
Building Size
11,316 SF
Building Class
C
Year Built
1950
Price
$885,000
Price Per SF
$78.21
Tenancy
Single
Building Height
1 Story
Building FAR
0.19
Lot Size
1.35 AC
Zoning
B2 - Community Shopping District
Frontage
63’ on Douglas Ave
Amenities
- Bus Line
- Pylon Sign
Property Taxes
| Parcel Number | 276-000019092000 | Improvements Assessment | $195,600 |
| Land Assessment | $194,400 | Total Assessment | $390,000 |
Property Taxes
Parcel Number
276-000019092000
Land Assessment
$194,400
Improvements Assessment
$195,600
Total Assessment
$390,000
1 of 4
Videos
Matterport 3D Exterior
Matterport 3D Tour
Photos
Street View
Street
Map
