Log In/Sign Up
Your email has been sent.
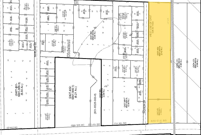
3275 S US HWY 1
Fort Pierce, FL 34982
C-3 Commercial Excellent Visibility & Traffic · Land For Sale
·
3.06 AC


Investment Highlights
- 36,785 VPD traffic count on S US Highway 1
- 7.7 miles from Treasure Coast International Airport
Executive Summary
This property is located on the west side of US Highway 1 in Ft. Pierce, Florida south of Virginia Avenue / north of Midway Road.
Utility Services inquiries should begin with the Ft. Pierce Utility Authority. Please see attachment and verify with FPUA.
Utility Services inquiries should begin with the Ft. Pierce Utility Authority. Please see attachment and verify with FPUA.
Property Facts
1 Lot Available
Lot
| Price | $795,000 | Lot Size | 3.06 AC |
| Price Per AC | $259,803.92 |
| Price | $795,000 |
| Price Per AC | $259,803.92 |
| Lot Size | 3.06 AC |
This location offers high visibility and traffic count along US-1. Key location complimented by new commercial and multifamly developments. Main north / south artery between Port St. Lucie and Ft. Pierce. Utilities are available.
Description
This area is featuring an increase in commercial interest influenced by new car dealerships south of this property as well as general commercial businesses and multifamily development capitalizing on the daily US Highway 1 traffic count between Port St. Lucie and Ft. Pierce.
1 of 3
Videos
Matterport 3D Exterior
Matterport 3D Tour
Photos
Street View
Street
Map
