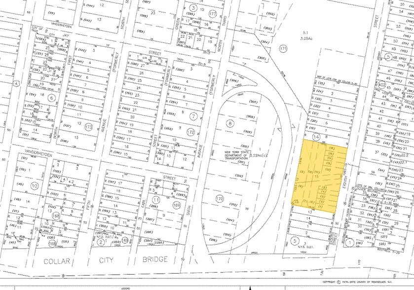
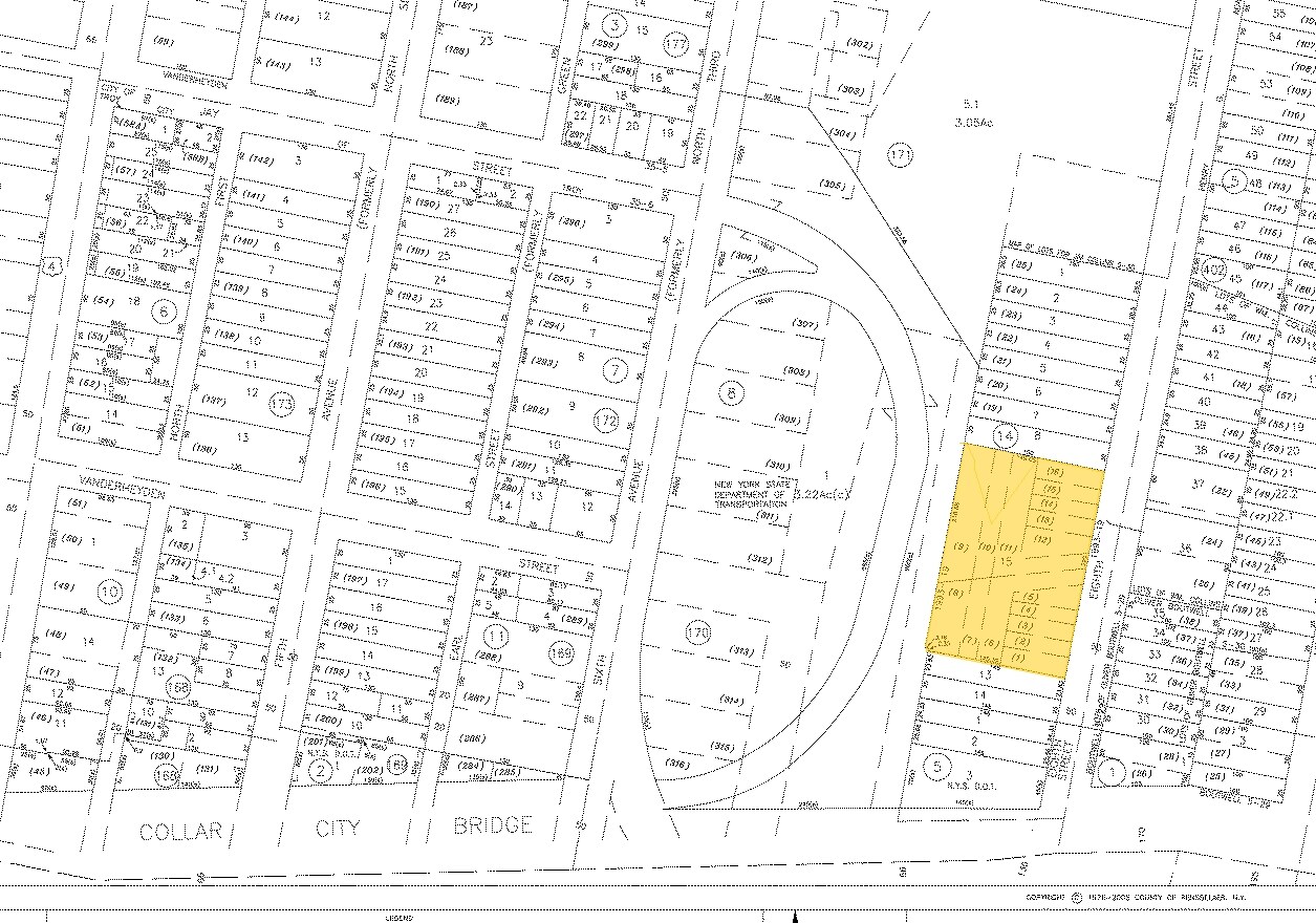
361 8th St | Troy, NY 12180
This feature is unavailable at the moment.
We apologize, but the feature you are trying to access is currently unavailable. We are aware of this issue and our team is working hard to resolve the matter.
Please check back in a few minutes. We apologize for the inconvenience.
- LoopNet Team
This Land Property is no longer advertised on LoopNet.com.
361 8th St
Troy, NY 12180
361 8th Street · Land For Sale
·
0.80 AC

INVESTMENT HIGHLIGHTS
- Located in an opportunity zone.
- Close to highway.
PROPERTY FACTS
DESCRIPTION
Great development site available for sale!
PROPERTY TAXES
| Parcel Number | 1700-101.22-14-15 | Improvements Assessment | $0 |
| Land Assessment | $36,300 | Total Assessment | $36,300 |
PROPERTY TAXES
Parcel Number
1700-101.22-14-15
Land Assessment
$36,300
Improvements Assessment
$0
Total Assessment
$36,300
Listing ID: 29219165
Date on Market: 8/8/2023
Last Updated:
Address: 361 8th St, Troy, NY 12180
The Troy Land Property at 361 8th St, Troy, NY 12180 is no longer being advertised on LoopNet.com. Contact the broker for information on availability.
LAND PROPERTIES IN NEARBY NEIGHBORHOODS
1 of 1
VIDEOS
MATTERPORT 3D EXTERIOR
MATTERPORT 3D TOUR
PHOTOS
STREET VIEW
STREET
MAP

Link copied
Your LoopNet account has been created!
Thank you for your feedback.
Please Share Your Feedback
We welcome any feedback on how we can improve LoopNet to better serve your needs.X
{{ getErrorText(feedbackForm.starRating, "rating") }}
255 character limit ({{ remainingChars() }} charactercharacters remainingover)
{{ getErrorText(feedbackForm.msg, "rating") }}
{{ getErrorText(feedbackForm.fname, "first name") }}
{{ getErrorText(feedbackForm.lname, "last name") }}
{{ getErrorText(feedbackForm.phone, "phone number") }}
{{ getErrorText(feedbackForm.phonex, "phone extension") }}
{{ getErrorText(feedbackForm.email, "email address") }}
You can provide feedback any time using the Help button at the top of the page.