This feature is unavailable at the moment.
We apologize, but the feature you are trying to access is currently unavailable. We are aware of this issue and our team is working hard to resolve the matter.
Please check back in a few minutes. We apologize for the inconvenience.
- LoopNet Team
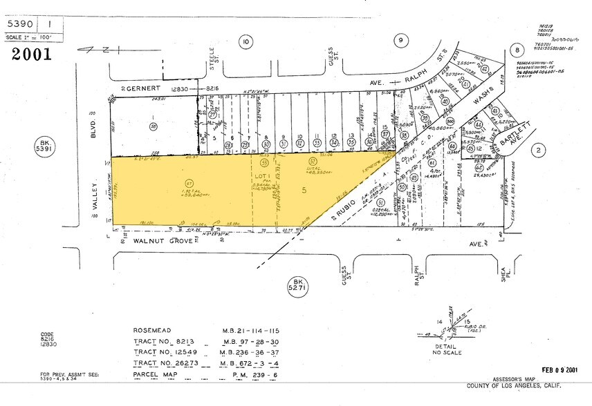
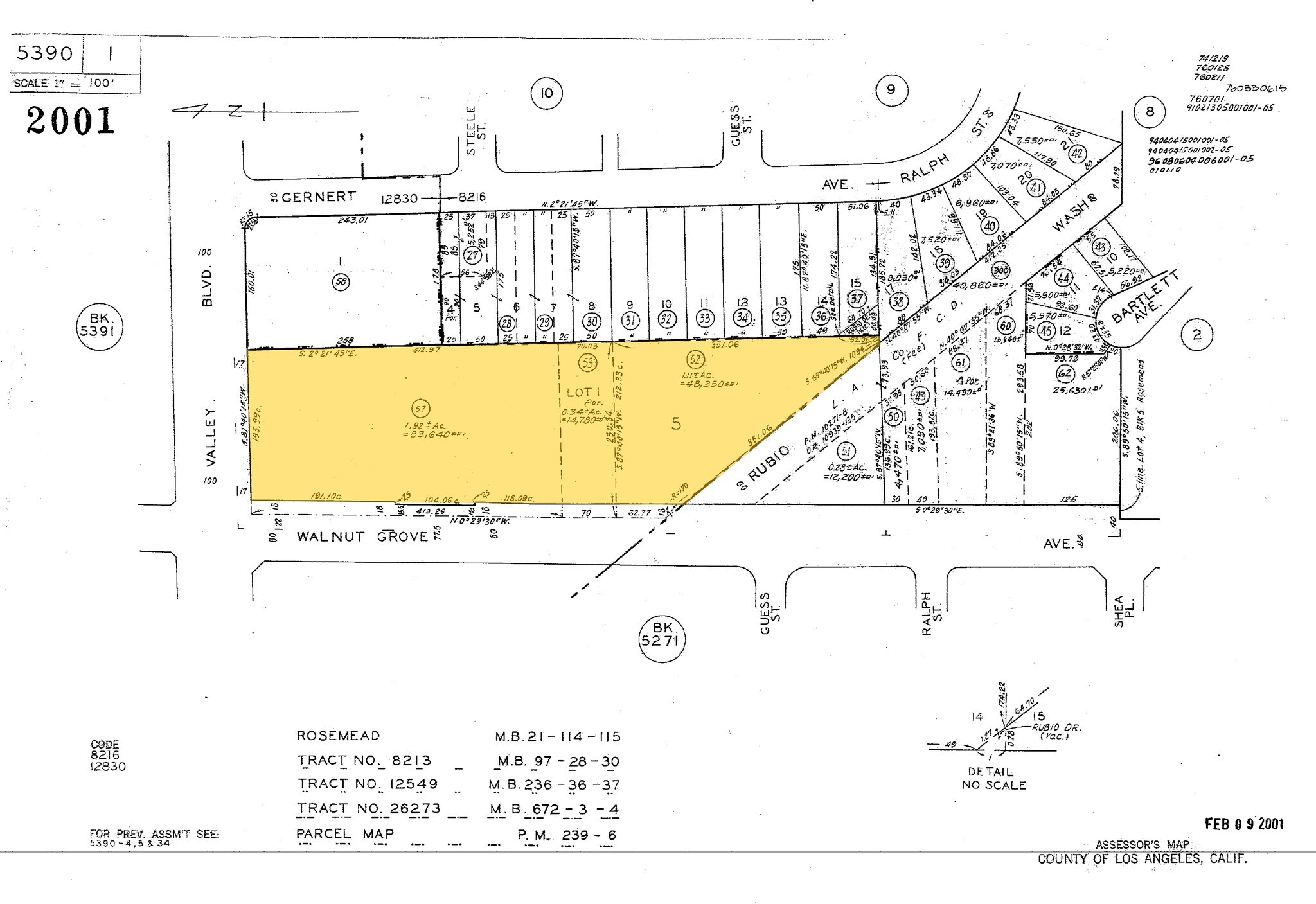
8614 E Valley Blvd
Rosemead, CA 91770
Land For Sale
·
3.37 AC

PROPERTY FACTS
| Property Type | Land | Proposed Use | Hold For Development |
| Property Subtype | Commercial | Total Lot Size | 3.37 AC |
| Zoning | C4 - Commerical | ||
| Property Type | Land |
| Property Subtype | Commercial |
| Proposed Use | Hold For Development |
| Total Lot Size | 3.37 AC |
| Zoning | C4 - Commerical |
DESCRIPTION
Development Opportunity! The property offers prime exposure and accessibility, making it an ideal location for hotel and/or retail development. Current zone for Regional Commercial with a Design Overlay (C-4D) with FAR: 1.0:1 (if hotel development that incorporates specific amenities according to General Plan) or Specific Plan Proposals for City approval. City General Plan Designation:High Intensity Commercial. Three parcels combined total estimated lot size of 146,767 square feet (3.3 Acres). Currently, a one story high ceiling corner lot furniture store, potential for other use, buyer must verify with city of Rosemead. This rectangular shaped property is located at a prime corner in the City of Rosemead, forming the southeast corner of Walnut Grove Avenue and Valley Boulevard. A combination of commercial and single family residential land uses are located to the east, two single-family residential to the south and commercial to the north and west. All of which attracts neighborhood residents and businesses. Agent doesn't guarantee accuracy of square footage, lot size, permit info, zoning, usage, descriptions herein or other info regarding the conditions/features of property provided by the seller or obtained from Public Records/other sources. Buyer advised to verify the accuracy of all info thru personal inspection and with appropriate professionals.
PROPERTY TAXES
| Parcel Number | 5390-001-057 | Improvements Assessment | $0 |
| Land Assessment | $7,744,948 | Total Assessment | $7,744,948 |
PROPERTY TAXES
Listing ID: 8093692
Date on Market: 7/12/2017
Last Updated:
Address: 8614 E Valley Blvd, Rosemead, CA 91770
The Land Property at 8614 E Valley Blvd, Rosemead, CA 91770 is no longer being advertised on LoopNet.com. Contact the broker for information on availability.
LAND PROPERTIES IN NEARBY NEIGHBORHOODS
- San Gabriel Valley Commercial Land
- Southeast Los Angeles Commercial Land
- Downtown Los Angeles Commercial Land
- Northeast Los Angeles Commercial Land
- Echo Park Commercial Land
- Cypress Park Commercial Land
- Arts District Commercial Land
- Garvey Commercial Land
- Mountain View Commercial Land
- Victory Park Commercial Land
- Hacienda La Puente Commercial Land
- Chinatown Commercial Land
- Historic Downtown LA Commercial Land
- Jefferson Park Commercial Land
- East Pasadena Commercial Land
NEARBY LISTINGS
- 9622 Garvey Ave, South El Monte CA
- 3914 Mountain View Ave, Pasadena CA
- 2100 S Orange Ave, Monterey Park CA
- 2649 Stingle Ave, Rosemead CA
- 5306 Borland rd, Los Angeles CA
- 12714 Ramona Blvd, Baldwin Park CA
- 3546 S Baldwin Ave, El Monte CA
- 3618 Baldwin Ave, El Monte CA
- 11400 Garvey Ave, El Monte CA
- Del Mar Ave., Rosemead CA
- 715 S Meridian Ave, Alhambra CA
- 8910 Ardendale Ave, San Gabriel CA
- 3237-3307 Cogswell, El Monte CA
