Log In/Sign Up
Enter your email to login or create a free account
This feature is unavailable at the moment.
We apologize, but the feature you are trying to access is currently unavailable. We are aware of this issue and our team is working hard to resolve the matter.
Please check back in a few minutes. We apologize for the inconvenience.
- LoopNet Team
This Land Property is no longer advertised on LoopNet.com.
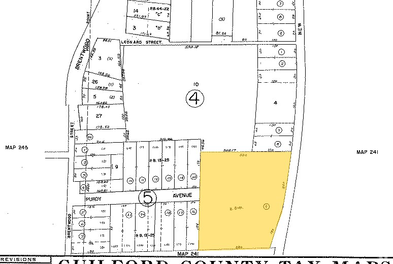
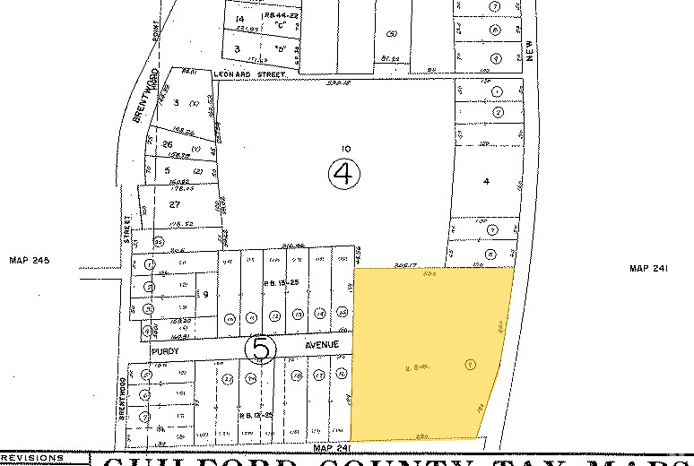
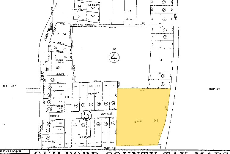
430 New St
High Point, NC 27260
Land For Sale
·
2.90 AC

Investment Highlights
- Minutes from bustling downtown High Point
- Unparalleled accessibility and visibility
Property Facts
| Property Type | Land | Proposed Use | Commercial |
| Property Subtype | Industrial | Total Lot Size | 2.90 AC |
| Zoning | LI - Commercial | ||
| Property Type | Land |
| Property Subtype | Industrial |
| Proposed Use | Commercial |
| Total Lot Size | 2.90 AC |
| Zoning | LI - Commercial |
Property Taxes
| Parcel Number | 0184160 | Improvements Assessment | $0 |
| Land Assessment | $132,700 | Total Assessment | $132,700 |
Property Taxes
Parcel Number
0184160
Land Assessment
$132,700
Improvements Assessment
$0
Total Assessment
$132,700
Listing ID: 28860759
Date on Market: 6/27/2023
Last Updated:
Address: 430 New St, High Point, NC 27260
The Greater High Point Land Property at 430 New St, High Point, NC 27260 is no longer being advertised on LoopNet.com. Contact the broker for information on availability.
LAND PROPERTIES IN NEARBY NEIGHBORHOODS
- Greater High Point Industrial Land Parcels
- Jamestown/High Point Industrial Land Parcels
- Outer Northwest I-40 Corridor Industrial Land Parcels
- Downtown High Point Industrial Land Parcels
- Fairview Homes Industrial Land Parcels
- The Thicket Industrial Land Parcels
- Downtown Greensboro Industrial Land Parcels
NEARBY LISTINGS
- 1570 National Hwy, Thomasville NC
- 6132 Modlin Grove Rd, High Point NC
- 0 Mendehall Road Ext, Archdale NC
- 1500 National Hwy, Thomasville NC
- 1401 Hampstead Dr, High Point NC
- 2023-2101 Eastchester Dr, High Point NC
- 3811 Samet Dr, High Point NC
- 6067 Hickory Creek rd, Greensboro NC
- 107 Julian Ave, Archdale NC
- 10215 S Main St, Archdale NC
- 201 Interstate Dr, Archdale NC
- 3303 & 3317 E Martin Luther King Jr Dr, High Point NC
- 1926-1936 Baker Rd, High Point NC
- 10812 N Main St, Archdale NC
1 of 1
Videos
Matterport 3D Exterior
Matterport 3D Tour
Photos
Street View
Street
Map

Link copied
Your LoopNet account has been created!
Thank you for your feedback.
Please Share Your Feedback
We welcome any feedback on how we can improve LoopNet to better serve your needs.X
{{ getErrorText(feedbackForm.starRating, "rating") }}
255 character limit ({{ remainingChars() }} charactercharacters remainingover)
{{ getErrorText(feedbackForm.msg, "rating") }}
{{ getErrorText(feedbackForm.fname, "first name") }}
{{ getErrorText(feedbackForm.lname, "last name") }}
{{ getErrorText(feedbackForm.phone, "phone number") }}
{{ getErrorText(feedbackForm.phonex, "phone extension") }}
{{ getErrorText(feedbackForm.email, "email address") }}
You can provide feedback any time using the Help button at the top of the page.