This feature is unavailable at the moment.
We apologize, but the feature you are trying to access is currently unavailable. We are aware of this issue and our team is working hard to resolve the matter.
Please check back in a few minutes. We apologize for the inconvenience.
- LoopNet Team
5220 N Dysart Rd
Litchfield Park, AZ 85340
Camelback Place at Dysart - Bldg C · Office Property For Sale

EXECUTIVE SUMMARY
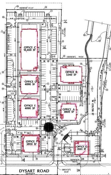
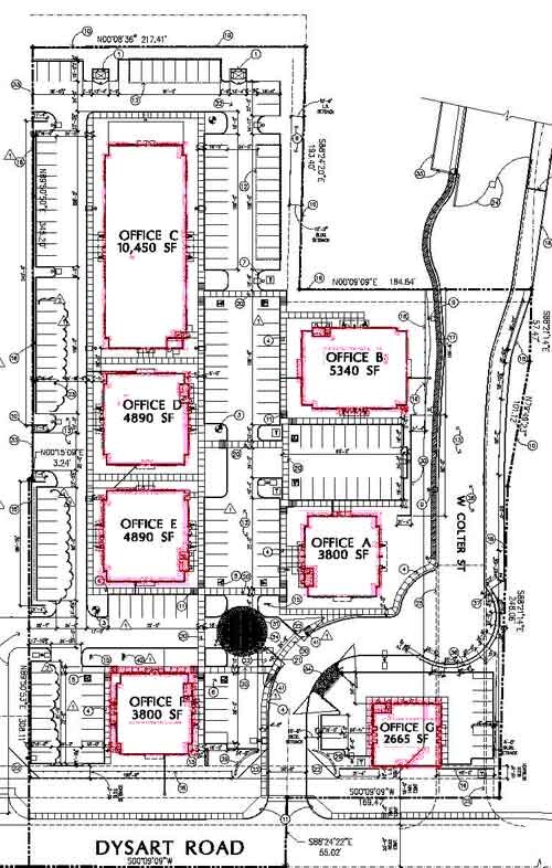
Unrivaled in its concept and design the Dysart Commons project includes a full campus experience with the added convenience of the adjacent Camelback Place at Dysart.Dysart Commons is comprised of approximately seven uniquely designed, freestanding, single-story office condominiums, combining both functionality and efficiency within an attractive, professional setting Description10,450 SF Built Out Veterinary Clinic Fully Equipped and Furnished (sold separately) Large Monument Sign on Dysart Rd Built-Out and Move-In ReadyDysart Rd North of Camelback Rd Easy freeway access to I-10 and Loop 101 Close to major retailers North of NWC of Camelback & Dysart
PROPERTY FACTS
| Property Type | Office | Year Built | 2005 |
| Building Class | B | Tenancy | Single |
| Lot Size | 0.29 AC | APN / Parcel ID | 501-62-894 |
| Rentable Building Area | 10,450 SF | Cross Streets | N Dysart Rd |
| No. Stories | 1 | ||
| Zoning | C-0 | ||
| Property Type | Office |
| Building Class | B |
| Lot Size | 0.29 AC |
| Rentable Building Area | 10,450 SF |
| No. Stories | 1 |
| Year Built | 2005 |
| Tenancy | Single |
| APN / Parcel ID | 501-62-894 |
| Cross Streets | N Dysart Rd |
| Zoning | C-0 |
Listing ID: 8490723
Date on Market: 8/5/2017
Last Updated:
Address: 5220 N Dysart Rd, Litchfield Park, AZ 85340
The Litchfield Office Property at 5220 N Dysart Rd, Litchfield Park, AZ 85340 is no longer being advertised on LoopNet.com. Contact the broker for information on availability.
OFFICE PROPERTIES IN NEARBY NEIGHBORHOODS
- Westside Office Space
- Sun City Lakes Fe Office Space
- Maryvale Office Space
- South Peoria Office Space
- Rancho Santa Fe Office Space
- El Mirage Office Space
- Palm Valley Office Space
- Litchfield Office Space
- Crystal Gardens Office Space
- Downtown Phoenix Office Space
- North Phoenix Office Space
- Deer Valley Office Space
- South West Valley Office Space
