Log In/Sign Up
Your email has been sent.
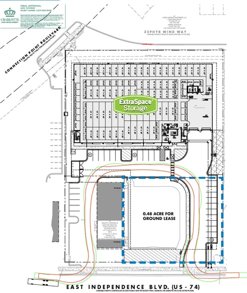
5324 E Independence Blvd 5324 E Independence Blvd 0.48 Acres of Commercial Land for Lease in Charlotte, NC 28212


LOT AVAILABLE
Display Rental Rate as
| Rental Rate |
|
Lot Size | 0.48 AC |
| Lease Term | Negotiable |
| Rental Rate | |
| Lease Term | Negotiable |
| Lot Size | 0.48 AC |
• 0.48 AC pad available for ground lease or built to suit • Excellent frontage and access along E Independence Blvd • In close proximity to MoRa Point, the site of extensive multifamily and retail development • Located near the intersection of E Independence Blvd and Idlewild Rd • Flexible CG (General Commercial) zoning • Delivery expected early Fall 2025 • Call for pricing
PROPERTY OVERVIEW
• 0.48 AC pad available for ground lease • Excellent frontage and access along E Independence Blvd • In close proximity to MoRa Point, the site of extensive multifamily and retail development • Located near the intersection of E Independence Blvd and Idlewild Rd • Flexible CG (General Commercial) zoning • Delivery expected early Fall 2025 • Call for pricing
PROPERTY FACTS
| Total Space Available | 0.48 AC | Property Subtype | Commercial |
| Property Type | Land | Proposed Use | Commercial |
| Total Space Available | 0.48 AC |
| Property Type | Land |
| Property Subtype | Commercial |
| Proposed Use | Commercial |
1 1
1 of 3
VIDEOS
MATTERPORT 3D EXTERIOR
MATTERPORT 3D TOUR
PHOTOS
STREET VIEW
STREET
MAP
1 of 1
